Votre courriel a été envoyé.
Chalupnik Rd. - Meyer Women LLC Property Lot • Ferme • 916,83 Acres • 11 129 920 $ CAD • Brawley, CA 92227



Certaines informations ont été traduites automatiquement.
FAITS SAILLANTS DE L'INVESTISSEMENT
- General Field Crop Property
- Laser Leveled
- Cement Ditches
- Zoned A2RIncome Producing Farm
- Tile
FAITS SUR LA PROPRIÉTÉ
| Prix | 11 129 920 $ CAD | Sous-type de propriété | Ferme |
| Type de vente | Investissement ou propriétaire utilisateur | Taille totale du lot | 916,83 AC |
| Nombre de lots | 1 | Rues transversales | Butters Rd. |
| Type de propriété | Terrain | ||
| Zonage | A2R | ||
| Prix | 11 129 920 $ CAD |
| Type de vente | Investissement ou propriétaire utilisateur |
| Nombre de lots | 1 |
| Type de propriété | Terrain |
| Sous-type de propriété | Ferme |
| Taille totale du lot | 916,83 AC |
| Rues transversales | Butters Rd. |
| Zonage | A2R |
1 LOT DISPONIBLE
Lot
| Prix | 11 129 920 $ CAD | Taille du lot | 916,83 AC |
| Prix par AC | 12 139,57 $ CAD |
| Prix | 11 129 920 $ CAD |
| Prix par AC | 12 139,57 $ CAD |
| Taille du lot | 916,83 AC |
DESCRIPTION
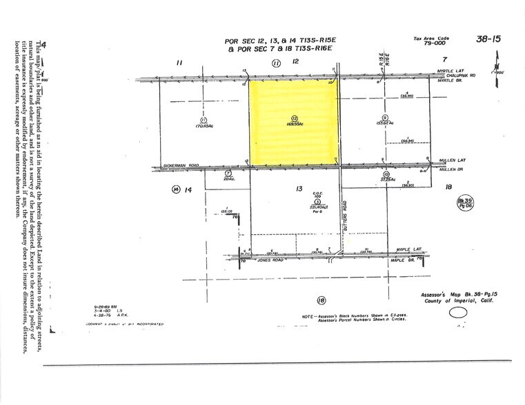
**Directions :** Depuis Brawley, prenez l'autoroute 78 vers l'est, puis dirigez-vous vers le nord sur Butters Rd. jusqu'à Chalupnik Rd. La propriété se trouvera des deux côtés, est et ouest, de Butters Rd. **Remarques :** Propriété de culture générale haut de gamme, incluant des sols de qualité pour légumes. Fossés en ciment, nivelés au laser avec un drainage adéquat. Canal/Portes : Myrtle 2, 3, 10, 11 & 13; Maple 2 & 3 et Mullen 2, 3 & 4. Bail en cours sur la propriété. Plusieurs numéros APN sont associés à cette annonce. Les profils de propriété sont disponibles sur demande.
Impôts fonciers
| Numéros de lot | Évaluation des bâtiments | 86 120 $ CAD | |
| Évaluation du terrain | 3 791 140 $ CAD | Évaluation totale | 3 877 260 $ CAD |
Impôts fonciers
Présenté par
Chalupnik Rd. - Meyer Women LLC Property
Hmm, il semble y avoir eu une erreur lors de l’envoi de votre message. Veuillez réessayer.
Merci! Votre message a été envoyé.
