Se Connecter/S’inscrire
Votre courriel a été envoyé.
Certaines informations ont été traduites automatiquement.
Faits sur la propriété
1 Lot disponible
Lot
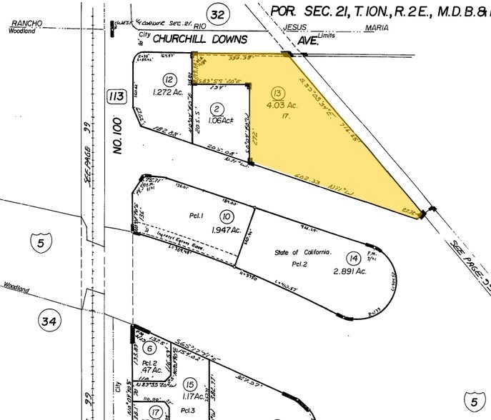
| Prix | 2 363 595 $ CAD | Taille du lot | 4,09 AC |
| Prix par AC | 577 896,10 $ CAD |
| Prix | 2 363 595 $ CAD |
| Prix par AC | 577 896,10 $ CAD |
| Taille du lot | 4,09 AC |
Regional Commercially Zoned Land Totaling ±4.09 AC (±177,725 SF) with Visibility & Exposure to over 34,000 Cars Per Day
Impôts fonciers
| Numéro de lot | 027-460-013-000 | Évaluation des bâtiments | 0 $ CAD |
| Évaluation du terrain | 667 415 $ CAD | Évaluation totale | 667 415 $ CAD |
Impôts fonciers
Numéro de lot
027-460-013-000
Évaluation du terrain
667 415 $ CAD
Évaluation des bâtiments
0 $ CAD
Évaluation totale
667 415 $ CAD
1 de 4
Vidéos
Visite extérieure 3D Matterport
Visite 3D Matterport
Photos
Vue depuis la rue
Rue
Carte
Présenté par
Churchill Downs Ave
Vous êtes déjà membre? Connectez-vous
Hmm, il semble y avoir eu une erreur lors de l’envoi de votre message. Veuillez réessayer.
Merci! Votre message a été envoyé.
Votre message a été envoyé !
Activez votre compte LoopNet dès maintenant pour suivre les propriétés, recevoir des alertes en temps réel, gagner du temps sur vos demandes futures et bien plus encore.




