Se Connecter/S’inscrire
Votre courriel a été envoyé.
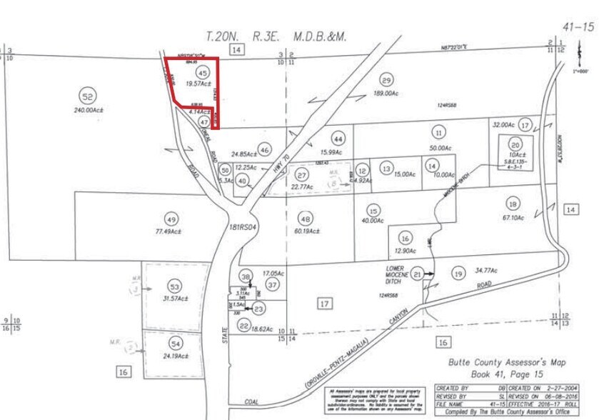
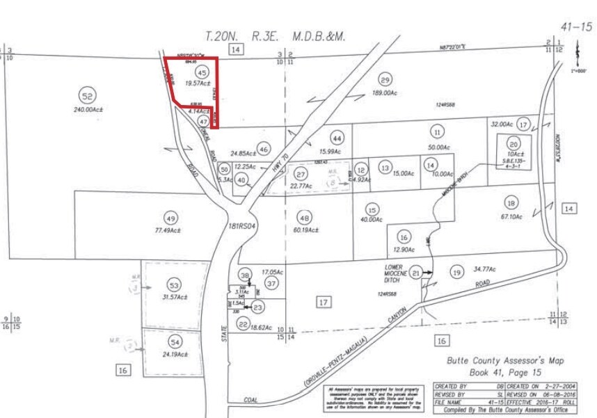
Clark Rd
Oroville, CA 95965
Terrain À vendre
·
19,57 AC

Certaines informations ont été traduites automatiquement.
Faits sur la propriété
| Type de vente | Investissement | Sous-type de propriété | Terrain commercial |
| Nombre de lots | 1 | Taille totale du lot | 19,57 AC |
| Type de propriété | Terrain | ||
| Zonage | S/E - Sports and Entertainment | ||
| Type de vente | Investissement |
| Nombre de lots | 1 |
| Type de propriété | Terrain |
| Sous-type de propriété | Terrain commercial |
| Taille totale du lot | 19,57 AC |
| Zonage | S/E - Sports and Entertainment |
1 Lot disponible
Lot
| Taille du lot | 19,57 AC |
| Taille du lot | 19,57 AC |
1 de 2
Vidéos
Visite extérieure 3D Matterport
Visite 3D Matterport
Photos
Vue depuis la rue
Rue
Carte
