Votre courriel a été envoyé.
Laurel Creek Plaza Clay Bank Road Terrain à louer de 4,55 acres • Terrain commercial • Fairfield, CA 94533



Certaines informations ont été traduites automatiquement.
LOT Disponible
Afficher les taux de location en
| Taux de location |
|
Taille du lot | 4,55 AC |
| Durée du bail | Négociable |
| Taux de location | |
| Durée du bail | Négociable |
| Taille du lot | 4,55 AC |
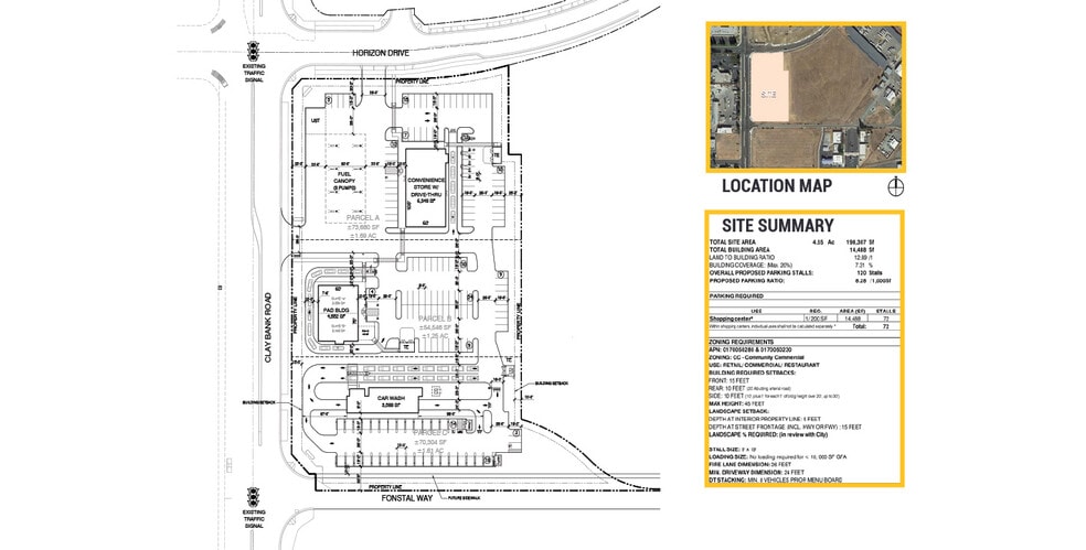
4.55 acres available.
Aperçu de la propriété
Possibilités de carburant, de conduite et de services de vente au détail Le site offre des possibilités d'utilisation du carburant, de l'entretien automobile, du lave-auto, du dépanneur, de la conduite automobile et des restaurants. Près de 4 890 nouveaux logements dans un rayon de 3 milles -Population existante de 159 021 habitants dans un rayon de cinq milles -Forts chiffres de trafic (chemin Clay Bank — 14 353 ADT) (Air Base Pkwy — 47 937 ADT) - Positionné pour conquérir les marchés de Fairfield et Vacaville
Faits sur la propriété
| Superficie totale disponible | 4,55 AC | Utilisation proposée | |
| Type de propriété | Terrain | Rues transversales | Fonstal Way |
| Sous-type de propriété | Terrain commercial |
| Superficie totale disponible | 4,55 AC |
| Type de propriété | Terrain |
| Sous-type de propriété | Terrain commercial |
| Utilisation proposée | |
| Rues transversales | Fonstal Way |
Présenté par
Laurel Creek Plaza | Clay Bank Road
Hmm, il semble y avoir eu une erreur lors de l’envoi de votre message. Veuillez réessayer.
Merci! Votre message a été envoyé.

