Se Connecter/S’inscrire
Votre courriel a été envoyé.
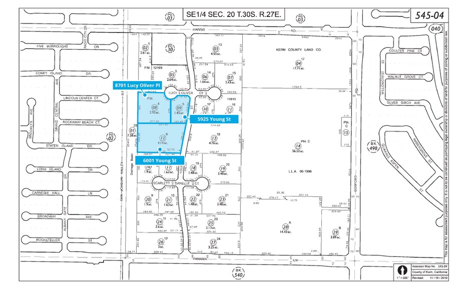
Crossroads Business park - 5925 & 6001 Young St + 8701 Lucy Oliver Place Lot • Terrain commercial • 8,52 Acres • 6 608 448 $ CAD • Bakersfield, CA 93311



Certaines informations ont été traduites automatiquement.
Faits saillants de l'investissement
- Parcelle entièrement finie avec tous les services publics rattachés au site avec conduit pour l'alimentation
- Financement du vendeur disponible avec crédit approuvé
- Situé à environ 2 milles à l'ouest de l'autoroute 99 avec deux (2) itinéraires de camions disponibles sur White Ln et Panama Ln
- Le vendeur envisagera également des options de construction adaptées
Faits sur la propriété
| Prix | 6 608 448 $ CAD | Type de propriété | Terrain |
| Type de vente | Investissement ou propriétaire utilisateur | Sous-type de propriété | Terrain commercial |
| Nombre de lots | 1 | Taille totale du lot | 8,52 AC |
| Zonage | M-2 - M2 Moyenne Manufacturerie, Ville de Bakersfield | ||
| Prix | 6 608 448 $ CAD |
| Type de vente | Investissement ou propriétaire utilisateur |
| Nombre de lots | 1 |
| Type de propriété | Terrain |
| Sous-type de propriété | Terrain commercial |
| Taille totale du lot | 8,52 AC |
| Zonage | M-2 - M2 Moyenne Manufacturerie, Ville de Bakersfield |
1 Lot disponible
Lot
| Prix | 6 608 448 $ CAD | Taille du lot | 8,52 AC |
| Prix par AC | 775 639,43 $ CAD |
| Prix | 6 608 448 $ CAD |
| Prix par AC | 775 639,43 $ CAD |
| Taille du lot | 8,52 AC |
5925, rue Young 1,45 Acres (63 162 SF) 6001, rue Young 4,14 acres (180 338 SF) 8701 Place Lucy Oliver 2,93 Acres (127 631SF) *LES COLIS PEUVENT ÊTRE VENDUS INDIVIDUELLEMENT OU COLLECTIVEMENT
Description
Maîtriser le développement planifié. Les parcelles peuvent être vendues individuellement ou combinées avec différentes combinaisons de superficies.
Assez praticable à pied
40/100
Exceptionnellement facile d’accès en voiture
90/100
Plutôt praticable en vélo
40/100
Impôts fonciers
| Numéros de lot | Évaluation des bâtiments | 0 $ CAD | |
| Évaluation du terrain | 3 944 305 $ CAD | Évaluation totale | 3 944 305 $ CAD |
Impôts fonciers
Numéros de lot
Évaluation du terrain
3 944 305 $ CAD
Évaluation des bâtiments
0 $ CAD
Évaluation totale
3 944 305 $ CAD
1 de 4
Vidéos
Visite extérieure 3D Matterport
Visite 3D Matterport
Photos
Vue depuis la rue
Rue
Carte
Présenté par
Crossroads Business park - 5925 & 6001 Young St + 8701 Lucy Oliver Place
Vous êtes déjà membre? Connectez-vous
Hmm, il semble y avoir eu une erreur lors de l’envoi de votre message. Veuillez réessayer.
Merci! Votre message a été envoyé.

