Se Connecter/S’inscrire
Votre courriel a été envoyé.
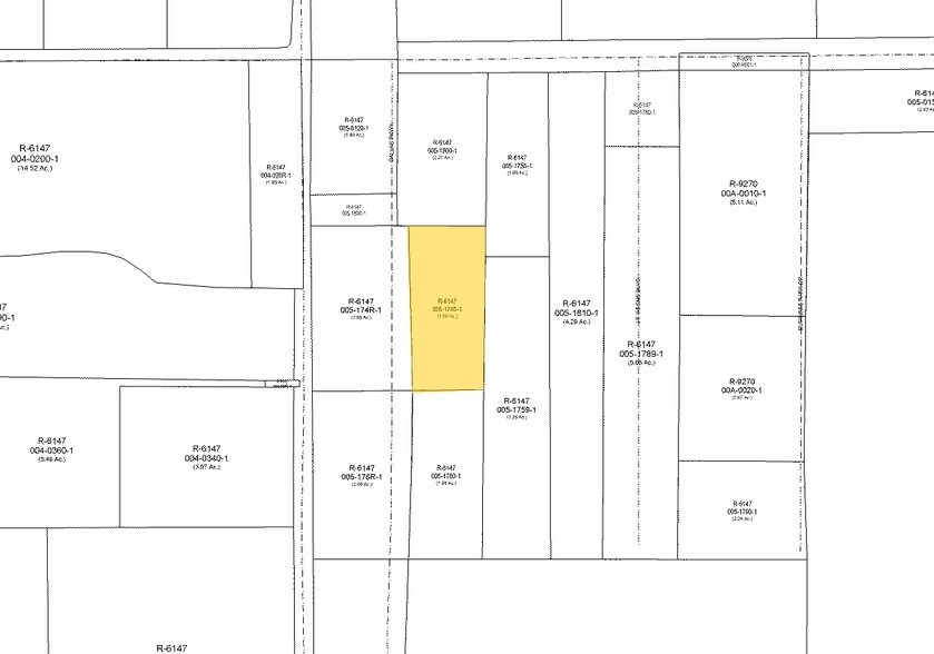
Dallas Parkway & Hwy 380
Prosper, TX 75078
Dallas Parkway Land, Prosper · Terrain À vendre
·
2,31 AC


Certaines informations ont été traduites automatiquement.
Faits sur la propriété
| Type de vente | Investissement | Sous-type de propriété | Terrain commercial |
| Nombre de lots | 1 | Utilisation proposée | Commercial |
| Type de propriété | Terrain | Taille totale du lot | 2,31 AC |
| Zonage | Commercial | ||
| Type de vente | Investissement |
| Nombre de lots | 1 |
| Type de propriété | Terrain |
| Sous-type de propriété | Terrain commercial |
| Utilisation proposée | Commercial |
| Taille totale du lot | 2,31 AC |
| Zonage | Commercial |
1 Lot disponible
Lot
| Taille du lot | 2,31 AC |
| Taille du lot | 2,31 AC |
Description
• +/- 100 754 pc de terrain commercial à vendre sur la promenade Dallas, à seulement 1 mille au nord du corridor 380 • Corridor de la route 380. Entouré des portes de Prosper, un développement de détail de plusieurs millions de dollars • Tous les utilitaires disponibles
1 de 7
Vidéos
Visite extérieure 3D Matterport
Visite 3D Matterport
Photos
Vue depuis la rue
Rue
Carte
