Votre courriel a été envoyé.
Dinah Shore Dr dr - Desert Rose - AS#3 Lot • Terrain commercial • 34,01 Acres • 19 822 950 $ CAD • Rancho Mirage, CA 92270



Certaines informations ont été traduites automatiquement.
Faits saillants de l'investissement
- Parcelle d'angle
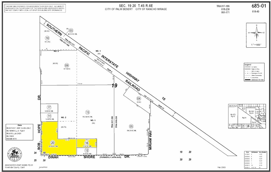
- Zonage commercial communautaire (CC) avec superposition spéciale pour le commerce de détail par l'entremise du plan spécifique 19
- Utilitaires : eau, égout jusqu'au site. Électrique (SCE) sur place.
- Intersection signalée - Nombre de trafic élevé - Promenade Bob Hope 15 465 CPD - Promenade Dinah Shore 16 709 CPD
- 150 chambres d'hôtel autorisées
- À moins d'un mille de l'I-10
Résumé de l'annonce
Faits sur la propriété
1 Lot disponible
Lot
| Prix | 19 822 950 $ CAD | Taille du lot | 34,01 AC |
| Prix par AC | 582 856,51 $ CAD |
| Prix | 19 822 950 $ CAD |
| Prix par AC | 582 856,51 $ CAD |
| Taille du lot | 34,01 AC |
Deux parcelles de terrain commercial vacant d'environ 34,01 acres combinées. Situé à l'angle sud-ouest de la zone de plan spécifique de la section 19 de la ville de Rancho Mirage. Les services publics tels que l'eau, les égouts et l'électricité passent le long des limites des sites.
Description
Le site est situé à l'intersection de la promenade Dinah Shore et de la promenade Bob Hope, deux corridors clés à fort volume de circulation. La promenade Dinah Shore voit environ 16 709 véhicules par jour, et Bob Hope Drive compte 15 465 véhicules par jour, ce qui offre une excellente visibilité et une excellente accessibilité. Services publics : IID Power (électricité). Engagé dans la première phase de développement ; Coachella Valley Water District (eau et égout) ; Southern California Gas Company (gaz).
Impôts fonciers
| Numéros de lot | Évaluation des bâtiments | 0 $ CAD | |
| Évaluation du terrain | 12 386 130 $ CAD | Évaluation totale | 12 386 130 $ CAD |
Impôts fonciers
Présenté par
Dinah Shore Dr dr - Desert Rose - AS#3
Hmm, il semble y avoir eu une erreur lors de l’envoi de votre message. Veuillez réessayer.
Merci! Votre message a été envoyé.
