Se Connecter/S’inscrire
Votre courriel a été envoyé.
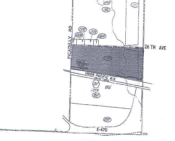
E 26th Ave
Aurora, CO 80019
First Aurora Commerce Center - Building Site H · Terrain À vendre
·
30,23 AC


Certaines informations ont été traduites automatiquement.
Faits sur la propriété
| Type de vente | Investissement | Utilisation proposée | Industriel |
| Nombre de lots | 1 | Taille totale du lot | 30,23 AC |
| Type de propriété | Terrain | Zone de développement économique |
Oui
|
| Sous-type de propriété | Terrain commercial | ||
| Zonage | LT | ||
| Type de vente | Investissement |
| Nombre de lots | 1 |
| Type de propriété | Terrain |
| Sous-type de propriété | Terrain commercial |
| Utilisation proposée | Industriel |
| Taille totale du lot | 30,23 AC |
| Zone de développement économique |
Oui |
| Zonage | LT |
1 Lot disponible
Lot
| Taille du lot | 30,23 AC |
| Taille du lot | 30,23 AC |
Impôts fonciers
| Numéros de lot | Évaluation des bâtiments | 0 $ CAD | |
| Évaluation du terrain | 1 932 $ CAD | Évaluation totale | 1 932 $ CAD |
Impôts fonciers
Numéros de lot
Évaluation du terrain
1 932 $ CAD
Évaluation des bâtiments
0 $ CAD
Évaluation totale
1 932 $ CAD
1 de 5
Vidéos
Visite extérieure 3D Matterport
Visite 3D Matterport
Photos
Vue depuis la rue
Rue
Carte
