Se Connecter/S’inscrire
Votre courriel a été envoyé.
E 51st St
Tulsa, OK 74134
Multi-family zoned land 51st & 145th E Ave · Terrain À vendre
·
5,15 AC


Certaines informations ont été traduites automatiquement.
Résumé de l'annonce
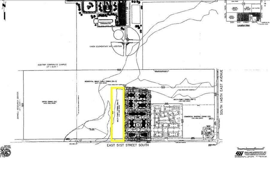
La propriété se trouve à environ 0,25 à 0,33 milles à l'ouest de 145th E Ave, le 51e.
Faits sur la propriété
| Type de vente | Investissement | Sous-type de propriété | Terrain commercial |
| Nombre de lots | 1 | Utilisation proposée | Multi-résidentiel |
| Type de propriété | Terrain | Taille totale du lot | 5,15 AC |
| Zonage | RM1 | ||
| Type de vente | Investissement |
| Nombre de lots | 1 |
| Type de propriété | Terrain |
| Sous-type de propriété | Terrain commercial |
| Utilisation proposée | Multi-résidentiel |
| Taille totale du lot | 5,15 AC |
| Zonage | RM1 |
1 Lot disponible
Lot
| Prix | 587 983 $ CAD | Taille du lot | 5,15 AC |
| Prix par AC | 114 260,29 $ CAD |
| Prix | 587 983 $ CAD |
| Prix par AC | 114 260,29 $ CAD |
| Taille du lot | 5,15 AC |
Comté de Tulsa Non planté 19N 14E 28, 5,146 acres qui fait actuellement partie de la parcelle 99428-94-28-56010 se reporter à la carte de l'emplacement
Description
Terrain vacant zoné RM1 (Résidentiel Multi-Famille) avec tous les services publics disponibles sur le site La parcelle mesure environ 238 pi x 940 pi Au nord de l'autoroute Broken Arrow (103 000+ vpj)
Impôts fonciers
| Numéro de lot | 99428-94-28-56010 | Évaluation des bâtiments | 0 $ CAD |
| Évaluation du terrain | 640 $ CAD | Évaluation totale | 640 $ CAD |
Impôts fonciers
Numéro de lot
99428-94-28-56010
Évaluation du terrain
640 $ CAD
Évaluation des bâtiments
0 $ CAD
Évaluation totale
640 $ CAD
1 de 3
Vidéos
Visite extérieure 3D Matterport
Visite 3D Matterport
Photos
Vue depuis la rue
Rue
Carte
