Se Connecter/S’inscrire
Votre courriel a été envoyé.
Certaines informations ont été traduites automatiquement.
Faits saillants de l'investissement
- 3.4 Acres
- Accès facile à l'autoroute I-75 par Rochester Road
- Entouré de bureaux, industriels et résidentiels
- Nombreuses utilisations potentielles
- Dix minutes à M-59 et I-696
Résumé de l'annonce
L'un des derniers sites importants disponibles pour la mise en valeur du grand castor à Troie. Nombre de trafic élevé avec un accès facile à l'I-75. Excellent pour le bureau, le commerce de détail ou un restaurant haut de gamme. Construire pour convenir à la vente ou à la location.
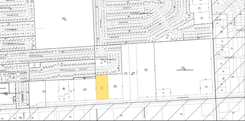
3,4 acres de terrain vacant, Big Beaver, Troy, comté d'Oakland, Michigan Les principaux carrefours sont Big Beaver et Rochester Road.
3,4 acres de terrain vacant, Big Beaver, Troy, comté d'Oakland, Michigan Les principaux carrefours sont Big Beaver et Rochester Road.
Faits sur la propriété
1 Lot disponible
Lot 1
| Prix | 2 329 000 $ CAD | Taille du lot | 3,40 AC |
| Prix par AC | 685 000,00 $ CAD |
| Prix | 2 329 000 $ CAD |
| Prix par AC | 685 000,00 $ CAD |
| Taille du lot | 3,40 AC |
1 1
Assez praticable à pied
50/100
Exceptionnellement facile d’accès en voiture
100/100
Plutôt praticable en vélo
50/100
Impôts fonciers
| Numéro de lot | 20-23-401-036 | Évaluation des bâtiments | 0 $ CAD |
| Évaluation du terrain | 0 $ CAD | Évaluation totale | 1 053 859 $ CAD |
Impôts fonciers
Numéro de lot
20-23-401-036
Évaluation du terrain
0 $ CAD
Évaluation des bâtiments
0 $ CAD
Évaluation totale
1 053 859 $ CAD
1 de 3
Vidéos
Visite extérieure 3D Matterport
Visite 3D Matterport
Photos
Vue depuis la rue
Rue
Carte
1 de 1
Présenté par
E Big Beaver Rd
Vous êtes déjà membre? Connectez-vous
Hmm, il semble y avoir eu une erreur lors de l’envoi de votre message. Veuillez réessayer.
Merci! Votre message a été envoyé.


