Se Connecter/S’inscrire
Votre courriel a été envoyé.
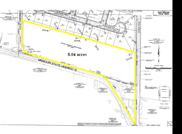
E Hwy N
Wentzville, MO 63385
NE Corner HWY N & Duello Rd · Terrain À vendre
·
5,18 AC


Certaines informations ont été traduites automatiquement.
FAITS SAILLANTS DE L'INVESTISSEMENT
- Prime corner location with stoplight installation approved for 2026
- Surging residential growth fueling retail demand
- Over 88,000 residents and $106K+ median income within 5 miles
- Zoned C2 General Commercial with subdivision potential
- Proposed full access curb and dual right-in/right-out entries
- Highway N traffic volume exceeds 20,000 vehicles per day
RÉSUMÉ DE L'ANNONCE
Positioned at the high-visibility northeast corner of Highway N and Duello Road/Hopewell Road in unincorporated St. Charles County, this 5.18 ± acre parcel offers a rare opportunity for commercial development in one of the region’s fastest-growing corridors. The site benefits from a newly approved stoplight scheduled for installation in 2026, enhancing both accessibility and traffic flow. With proposed full access curb cuts and right-in/right-out access on both Duello Road and Highway N, the property is primed for seamless ingress and egress.
The surrounding area is experiencing a surge in residential development, with thousands of new homes under construction, driving demand for retail, service, and convenience-oriented businesses. Zoned C2 General Commercial, the site supports a wide range of uses including retail centers, restaurants, medical offices, and more. Subdivision is possible, offering flexibility for multi-tenant or phased development strategies.
Traffic counts are robust, with Highway N seeing over 20,000 vehicles per day, and Duello and Hopewell Roads contributing additional exposure. Demographics within a 5-mile radius include a population of over 88,000 and a median household income exceeding $106,000, underscoring the area's strong consumer base.
This site is ideal for developers or owner-users seeking a strategic location in a thriving suburban market with excellent visibility, strong demographics, and infrastructure improvements already underway.
The surrounding area is experiencing a surge in residential development, with thousands of new homes under construction, driving demand for retail, service, and convenience-oriented businesses. Zoned C2 General Commercial, the site supports a wide range of uses including retail centers, restaurants, medical offices, and more. Subdivision is possible, offering flexibility for multi-tenant or phased development strategies.
Traffic counts are robust, with Highway N seeing over 20,000 vehicles per day, and Duello and Hopewell Roads contributing additional exposure. Demographics within a 5-mile radius include a population of over 88,000 and a median household income exceeding $106,000, underscoring the area's strong consumer base.
This site is ideal for developers or owner-users seeking a strategic location in a thriving suburban market with excellent visibility, strong demographics, and infrastructure improvements already underway.
FAITS SUR LA PROPRIÉTÉ Sous contrat
| Type de vente | Investissement | Sous-type de propriété | Terrain commercial |
| Nombre de lots | 1 | Utilisation proposée | |
| Type de propriété | Terrain | Taille totale du lot | 5,18 AC |
| Zonage | C2 - Commercial | ||
| Type de vente | Investissement |
| Nombre de lots | 1 |
| Type de propriété | Terrain |
| Sous-type de propriété | Terrain commercial |
| Utilisation proposée | |
| Taille totale du lot | 5,18 AC |
| Zonage | C2 - Commercial |
1 LOT DISPONIBLE
Lot
| Taille du lot | 5,18 AC |
| Taille du lot | 5,18 AC |
5.18± acre commercial lot at Hwy N & Duello Rd with 2026 stoplight, full access curb cuts, and strong traffic counts. Zoned C2, subdivision possible. Surging residential growth supports retail, service, and mixed-use development.
Impôts fonciers
| Numéro de lot | T192300183 | Évaluation des bâtiments | 0 $ CAD |
| Évaluation du terrain | 0 $ CAD | Évaluation totale | 566 $ CAD |
Impôts fonciers
Numéro de lot
T192300183
Évaluation du terrain
0 $ CAD
Évaluation des bâtiments
0 $ CAD
Évaluation totale
566 $ CAD
1 de 22
VIDÉOS
VISITE EXTÉRIEURE 3D MATTERPORT
VISITE 3D MATTERPORT
PHOTOS
VUE DEPUIS LA RUE
RUE
CARTE
