Votre courriel a été envoyé.
E Jarvis St - Citrus Estates 125 Townhomes Project Lot • Résidentiel • 5,57 Acres • 5 509 822 $ CAD • Perris, CA 92571



Certaines informations ont été traduites automatiquement.
FAITS SAILLANTS DE L'INVESTISSEMENT
- Close proximity to major highway access.
- High growth area.
- Preliminary reports available.
RÉSUMÉ DE L'ANNONCE
FAITS SUR LA PROPRIÉTÉ
1 LOT DISPONIBLE
Lot
| Prix | 5 509 822 $ CAD | Taille du lot | 5,57 AC |
| Prix par AC | 989 196,08 $ CAD |
| Prix | 5 509 822 $ CAD |
| Prix par AC | 989 196,08 $ CAD |
| Taille du lot | 5,57 AC |
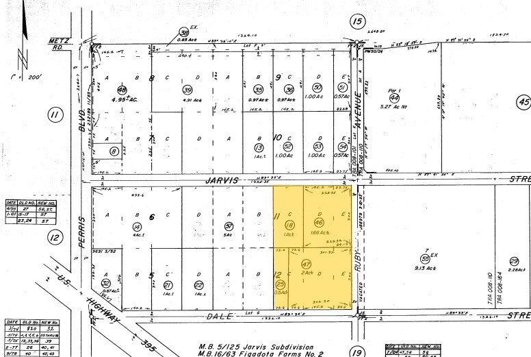
Four Parcels totaling 5.57 acres.
DESCRIPTION
Une opportunité exceptionnelle pour un développeur ou un investisseur de construire une nouvelle communauté de maisons en rangée dans une zone en pleine croissance de Perris, offrant un accès facile aux autoroutes pour les trajets vers les comtés de Riverside, Orange et San Diego. Situé à proximité des commerces, des écoles, des lignes ferroviaires et d'autres commodités urbaines, ce terrain se trouve dans les limites de la zone de projet de réaménagement de la VILLE DE PERRIS. La propriété comprend 4 parcelles totalisant 5,57 acres de terrain dégagé et plat, avec un zonage MFR-24. Le vendeur a préparé des plans architecturaux préliminaires, ainsi que des études de Phase 1, de sol, géographiques, de capacité et autres, incluant des plans pour un projet de 125 unités de maisons en rangée. Ne laissez pas passer cette opportunité!
Impôts fonciers
| Numéro de lot | 311-180-018 | Évaluation des bâtiments | 0 $ CAD |
| Évaluation du terrain | 872 963 $ CAD | Évaluation totale | 872 963 $ CAD |
Impôts fonciers
Présenté par
E Jarvis St - Citrus Estates 125 Townhomes Project
Hmm, il semble y avoir eu une erreur lors de l’envoi de votre message. Veuillez réessayer.
Merci! Votre message a été envoyé.
