Votre courriel a été envoyé.
E Waterloo Road - 4 to 7 Acre Tracts in Edmond, OK Lot • Terrain commercial • 4,53 Acres • 566 533 $ CAD • Edmond, OK 73034



Certaines informations ont été traduites automatiquement.
Faits saillants de l'investissement
- Circulation diurne intense
- Près de OKC
- Accès facile à l'I35
Résumé de l'annonce
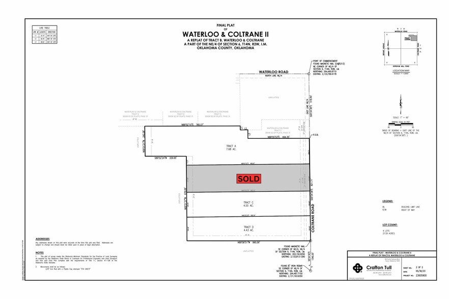
Prix de la superficie des parcelles
A 7,48 595 000$
C 4,53 455 000$
D 4,43 455 000$
Faits sur la propriété Sous contrat
1 Lot disponible
Lot C
| Prix | 566 533 $ CAD | Taille du lot | 4,53 AC |
| Prix par AC | 125 062,49 $ CAD |
| Prix | 566 533 $ CAD |
| Prix par AC | 125 062,49 $ CAD |
| Taille du lot | 4,53 AC |
Accès facile à la I-35. 3 parcelles disponibles à la vente allant de 4 à 7 acres.
Description
Cette propriété est située près de l'angle sud-ouest des chemins E Waterloo et N Coltrane Rd, à Edmond, en Oklahoma. Idéalement située à moins de 2 milles de l'I-35, et avec une multitude d'utilisations commerciales, cette propriété est un bien immobilier de premier ordre ! Situé dans l'un des quartiers les plus prometteurs de la région de l'OKC, il y a une pléthore de développements en cours tout autour de la propriété, y compris 3 nouveaux ajouts de logements. Cette propriété est située dans le comté d'Oklahoma et fait partie du district scolaire public d'Edmond.
Présenté par
E Waterloo Road - 4 to 7 Acre Tracts in Edmond, OK
Hmm, il semble y avoir eu une erreur lors de l’envoi de votre message. Veuillez réessayer.
Merci! Votre message a été envoyé.

