Votre courriel a été envoyé.
Certaines informations ont été traduites automatiquement.
FAITS SAILLANTS DE L'INVESTISSEMENT
- Located in Curtis Bay’s industrial corridor with direct access to I-695
- Positioned within a State Priority Funding Area for potential incentives
- 22-minute drive to Downtown Baltimore and 10.5 miles to BWI Airport
- Zoned W2 Industrial, supporting a wide range of heavy and light industrial uses
- Minutes from the Port of Baltimore and Curtis Bay Industrial Area
- Ideal for outside storage, contractor yards, fabrication, or salvage operations
RÉSUMÉ DE L'ANNONCE
FAITS SUR LA PROPRIÉTÉ
| Type de vente | Investissement | Sous-type de propriété | Terrain commercial |
| Nombre de lots | 1 | Taille totale du lot | 7,04 AC |
| Type de propriété | Terrain | ||
| Zonage | W2 - peut désigner un quartier industriel léger, une zone boisée ou une plaine inondable, ou encore une zone de développement contrôlé. | ||
| Type de vente | Investissement |
| Nombre de lots | 1 |
| Type de propriété | Terrain |
| Sous-type de propriété | Terrain commercial |
| Taille totale du lot | 7,04 AC |
| Zonage | W2 - peut désigner un quartier industriel léger, une zone boisée ou une plaine inondable, ou encore une zone de développement contrôlé. |
1 LOT DISPONIBLE
Lot
| Taille du lot | 7,04 AC |
| Taille du lot | 7,04 AC |
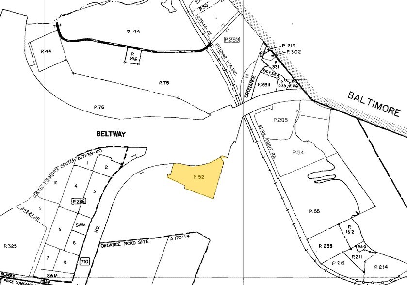
7,04 acres situés sur East Ordnance Road avec un accès facile à la bretelle de Baltimore Beltway (I-695). Pratique pour se rendre au port de Baltimore. Près de la route 10 MD et de la route 2 (route Ritchie).
DESCRIPTION
Situé au cœur du corridor industriel de Curtis Bay, ce terrain de ±7,04 acres sur East Ordnance Road représente une opportunité rare pour les développeurs et les utilisateurs industriels recherchant une proximité avec le port de Baltimore et les principales voies de transport. Zoné W2 Industriel, le site permet une large gamme d’utilisations, notamment le stockage extérieur, l’entreposage, les cours pour entrepreneurs, la fabrication, l’assemblage, ainsi que le recyclage ou la récupération automobile. La propriété bénéficie d’un accès immédiat à l’I-695, offrant une connectivité fluide au Baltimore Beltway et à l’infrastructure logistique environnante. Sa localisation dans une zone prioritaire de financement désignée par l’État augmente son attrait pour les utilisateurs cherchant des incitatifs potentiels au développement. Le site se trouve à quelques minutes de la zone industrielle de Curtis Bay et à une courte distance en voiture du White Marsh Town Center, offrant un accès à la fois à la main-d’œuvre et aux commodités. Les points de repère environnants incluent le parc des émissions de véhicules du MDOT MVA, Curtis Creek et le cimetière de navires, renforçant le caractère industriel de la région. La propriété est également située à 22 minutes du centre-ville de Baltimore et à 54 minutes de Washington, D.C., avec l’aéroport international Baltimore/Washington à seulement 10,5 miles. Ce site offre une toile attrayante pour le développement industriel dans une zone logistique très demandée, avec un accès régional solide et un zonage flexible.
Impôts fonciers
| Numéro de lot | 05-000-90034789 | Évaluation des bâtiments | 1 399 $ CAD |
| Évaluation du terrain | 1 912 043 $ CAD | Évaluation totale | 1 913 441 $ CAD |
Impôts fonciers
Présenté par
East Ordnance Rd
Hmm, il semble y avoir eu une erreur lors de l’envoi de votre message. Veuillez réessayer.
Merci! Votre message a été envoyé.




