Se Connecter/S’inscrire
Votre courriel a été envoyé.
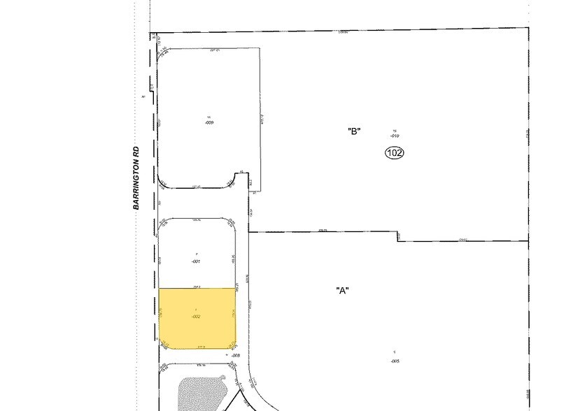
East Side of Barrington Rd, North Of Lakewood Blvd - Fountain Crossing Lot 3 Lot • Terrain commercial • 1,17 Acres • Hoffman Estates, IL 60010


Certaines informations ont été traduites automatiquement.
Faits saillants de l'investissement
- Excellente visibilité et façade sur Barrington Road
- Entièrement amélioré, prêt pour le développement
- Accès facile à l'autoroute grâce au nouvel échangeur à quatre voies
Résumé de l'annonce
Commerce de détail et développement commercial.
Faits sur la propriété
| Type de vente | Investissement | Sous-type de propriété | Terrain commercial |
| Nombre de lots | 1 | Utilisation proposée | |
| Type de propriété | Terrain | Taille totale du lot | 1,17 AC |
| Zonage | B-2 | ||
| Type de vente | Investissement |
| Nombre de lots | 1 |
| Type de propriété | Terrain |
| Sous-type de propriété | Terrain commercial |
| Utilisation proposée | |
| Taille totale du lot | 1,17 AC |
| Zonage | B-2 |
1 Lot disponible
Lot 3
| Taille du lot | 1,17 AC |
| Taille du lot | 1,17 AC |
1.17 CA de terrain brut et plan à des fins d'aménagement.
Description
1.17 CA de terrain plat brut pour le développement commercial et commercial.
1 1
Impôts fonciers
| Numéro de lot | 01-36-102-002-0000 | Évaluation des bâtiments | 0 $ CAD |
| Évaluation du terrain | 68 563 $ CAD | Évaluation totale | 68 563 $ CAD |
Impôts fonciers
Numéro de lot
01-36-102-002-0000
Évaluation du terrain
68 563 $ CAD
Évaluation des bâtiments
0 $ CAD
Évaluation totale
68 563 $ CAD
1 de 3
Vidéos
Visite extérieure 3D Matterport
Visite 3D Matterport
Photos
Vue depuis la rue
Rue
Carte
1 de 1
Présenté par
East Side of Barrington Rd, North Of Lakewood Blvd - Fountain Crossing Lot 3
Vous êtes déjà membre? Connectez-vous
Hmm, il semble y avoir eu une erreur lors de l’envoi de votre message. Veuillez réessayer.
Merci! Votre message a été envoyé.
Votre message a été envoyé !
Activez votre compte LoopNet dès maintenant pour suivre les propriétés, recevoir des alertes en temps réel, gagner du temps sur vos demandes futures et bien plus encore.
