Se Connecter/S’inscrire
Votre courriel a été envoyé.
Eastbourne Rd Lot • Résidentiel • 0,03 Acres • 65 205 $ CAD • Blindley Heath RH7 6JX



Certaines informations ont été traduites automatiquement.
Faits saillants de l'investissement
- Ideal self-build potential
- Great location
Résumé de l'annonce
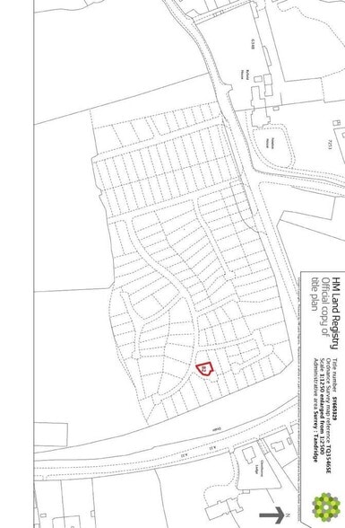
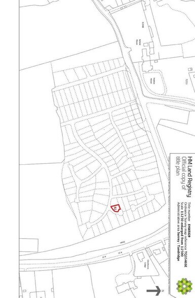
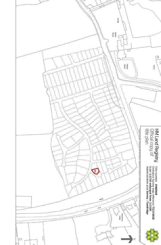
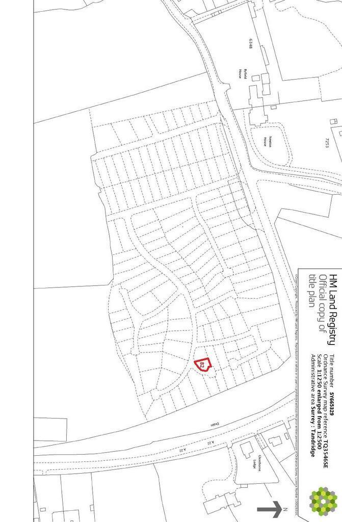
Pleased to offer to auction Plot 82 Eastbourne Road approximate sizing 120 sqm (1300 sqft).
Faits sur la propriété
| Prix | 65 205 $ CAD | Nombre de lots | 1 |
| Type de vente | Investissement | Type de propriété | Terrain |
| Condition de vente | Vente à l’encan | Sous-type de propriété | Résidentiel |
| Ancienneté | Pleine propriété | Taille totale du lot | 0,03 AC |
| Prix | 65 205 $ CAD |
| Type de vente | Investissement |
| Condition de vente | Vente à l’encan |
| Ancienneté | Pleine propriété |
| Nombre de lots | 1 |
| Type de propriété | Terrain |
| Sous-type de propriété | Résidentiel |
| Taille totale du lot | 0,03 AC |
1 Lot disponible
Lot
| Prix | 65 205 $ CAD | Taille du lot | 0,03 AC |
| Prix par AC | 2 184 857,79 $ CAD |
| Prix | 65 205 $ CAD |
| Prix par AC | 2 184 857,79 $ CAD |
| Taille du lot | 0,03 AC |
The property is subject to an overage provision and obligations in relation to development of the land.
Description
PLOT 82 approximate size 120 sqm (1300 sqft). The plot is in a superb location just south of the M25 London Orbital Motorway and East of the M23 Motorway. The site is located at a junction with the Main A22 Eastbourne Road and Byers Lane. Nearest postcode: RH7 6JX
1 1
1 de 6
Vidéos
Visite extérieure 3D Matterport
Visite 3D Matterport
Photos
Vue depuis la rue
Rue
Carte
1 de 1
Présenté par
Eastbourne Rd
Vous êtes déjà membre? Connectez-vous
Hmm, il semble y avoir eu une erreur lors de l’envoi de votre message. Veuillez réessayer.
Merci! Votre message a été envoyé.
