Se Connecter/S’inscrire
Votre courriel a été envoyé.
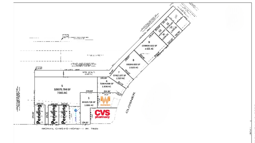
Edinburg - North Development Land
Edinburg, TX 78541
Terrain À vendre
·
19,54 AC


Certaines informations ont été traduites automatiquement.
FAITS SAILLANTS DE L'INVESTISSEMENT
- Intersection à circulation élevée
- Proximité de Us Autoroute 281
- Façade sur le boulevard Closner et Monte Cristo
- North Edinburg Emplacement
- Excellent accès
FAITS SUR LA PROPRIÉTÉ
1 LOT DISPONIBLE
Lot 8
| Taille du lot | 19,54 AC |
| Taille du lot | 19,54 AC |
DESCRIPTION
Coldwell Banker Commercial Rio Grande Valley est fière de présenter une occasion exceptionnelle de développement à Edinburg, au Texas. Situé à l'angle nord-ouest du chemin Monte-Cristo et du boulevard Closner, ce site de 26 acres bénéficie d'un emplacement enviable à l'une des principales intersections de la ville. Parfaitement positionné pour le développement à usage mixte, ce site offre un potentiel illimitée pour créer un carrefour communautaire dynamique et florissant.
Impôts fonciers
| Numéros de lot | Évaluation des bâtiments | 0 $ CAD | |
| Évaluation du terrain | 616 438 $ CAD | Évaluation totale | 616 438 $ CAD |
Impôts fonciers
Numéros de lot
Évaluation du terrain
616 438 $ CAD
Évaluation des bâtiments
0 $ CAD
Évaluation totale
616 438 $ CAD
1 de 7
VIDÉOS
VISITE EXTÉRIEURE 3D MATTERPORT
VISITE 3D MATTERPORT
PHOTOS
VUE DEPUIS LA RUE
RUE
CARTE
