Votre courriel a été envoyé.
Ethanac
Perris, CA 92570
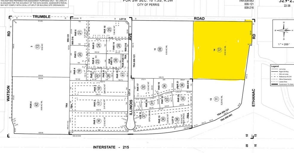
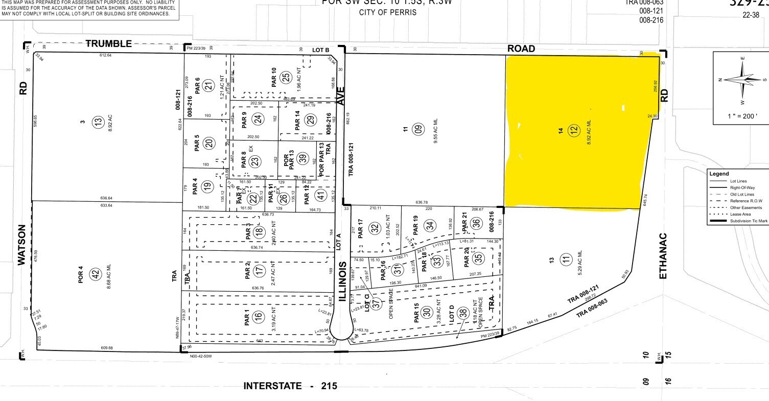
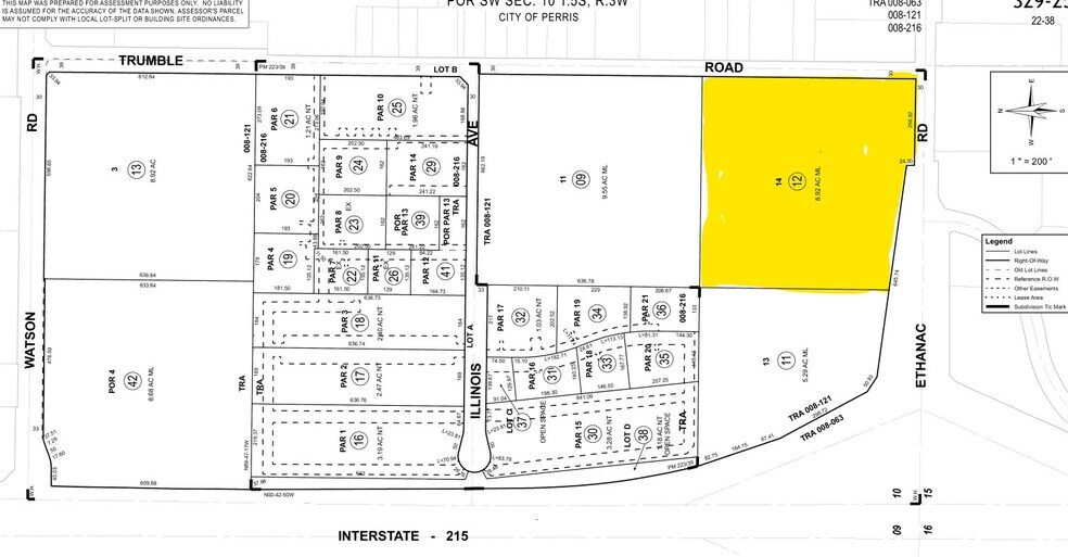
NWC Ethanac Rd & Trumble Rd · Terrain À vendre
·
14,21 AC


Certaines informations ont été traduites automatiquement.
Faits saillants de l'investissement
- Positioned near the I-215 freeway with immediate access via the Ethanac Road interchange, providing excellent regional connectivity.
- Located in a high-growth corridor of Riverside County, one of the fastest-growing counties in California.
Faits sur la propriété Sous contrat
1 Lot disponible
Lot
| Taille du lot | 14,21 AC |
| Taille du lot | 14,21 AC |
Description
This 14.21-acre commercial land parcel at Ethanac Road and Trumble Road in Perris, California, offers a prime development opportunity in a rapidly expanding market. The site benefits from its strategic location near the I-215 freeway, providing immediate access and visibility to significant traffic flows. Zoned BP (Business Park), the property supports a wide range of commercial uses, including retail centers, quick-service restaurants, and automotive services. The surrounding area is experiencing robust residential and commercial growth, making this location ideal for developers and investors seeking to capitalize on the region’s expanding population and economic base. With utilities available and entitlement potential for large-scale retail or mixed-use projects, this property is well-positioned to meet the needs of national and regional tenants. Its proximity to major transportation routes and the Inland Empire’s thriving logistics and distribution network further enhances its long-term value proposition.
Impôts fonciers
| Numéro de lot | 329-250-012 | Évaluation des bâtiments | 0 $ CAD |
| Évaluation du terrain | 5 784 624 $ CAD | Évaluation totale | 5 784 624 $ CAD |
