Votre courriel a été envoyé.
Certaines informations ont été traduites automatiquement.
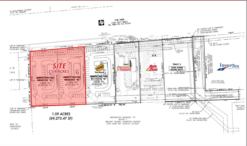
Faits saillants de l'investissement
- Grande visibilité à partir de FM 1960
- Beaucoup de circulation diurne et de nuit
Faits sur la propriété
1 Lot disponible
Lot
| Taille du lot | 1,59 AC |
| Taille du lot | 1,59 AC |
* Total de +/- 1,59 Acres (peut être détruits) * Accessible à partir de FM 1960 avec accès croisé à Kenswick (signal contrôlé) * Façades sur FM 1960
Description
* Proximité de la majorité des résidents et des écoles de la zone commerciale * Directement devant les principaux créateurs d'emplois (Amazon, DHL, BASF, etc.) et l'aéroport intercontinental * Très visible et accessible à la circulation dans les deux sens sur FM 1960 * Idéal pour les restaurants à service rapide, les restaurants à service complet et les autres commerces de détail axés sur la commodité * Tarification : Appelez pour plus d'informations
Impôts fonciers
| Numéros de lot | Évaluation des bâtiments | 0 $ CAD | |
| Évaluation du terrain | 1 701 149 $ CAD | Évaluation totale | 1 701 149 $ CAD |
Impôts fonciers
Présenté par
FM 1960 - FM 1960 & Kenswick Dr., Humble
Hmm, il semble y avoir eu une erreur lors de l’envoi de votre message. Veuillez réessayer.
Merci! Votre message a été envoyé.




