Votre courriel a été envoyé.
FM 517 Rd West, Dickinson, Texas 77539 - The Lakes of Bay Area Lot • Terrain commercial • 6 Acres • 1 830 090 $ CAD • League City, TX 77574



Certaines informations ont été traduites automatiquement.
Faits saillants de l'investissement
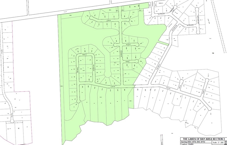
- Zone très achalandée prête pour le développement commercial de quartier. Adjacent à la subdivision de la région des lacs de la baie.
- Sur le FM achalandé 517 2102 pieds) à mi-chemin entre I-45 et I-35, Houston et Galveston
- Situé à côté du lotissement de la région de Lakes of Bay (Lakes and 1+ Acre Estate Homes)
- Proche intersection pour le boulevard Bay Area pour répondre à la station FM 517
Résumé de l'annonce
Faits sur la propriété
1 Lot disponible
Lot 1,2,3,4
| Prix | 1 830 090 $ CAD | Taille du lot | 6,00 AC |
| Prix par AC | 305 014,99 $ CAD |
| Prix | 1 830 090 $ CAD |
| Prix par AC | 305 014,99 $ CAD |
| Taille du lot | 6,00 AC |
RÉSERVE DE 6 ACRES : Quatre stations commerciales sur la station FM 517 (2102 pieds) très fréquentée entre Dickinson et Alvin et à mi-chemin entre Houston et Galveston. Les plans du boulevard Bay Area s'étendent du lac Clear pour intersecter le FM 517 à l'ouest de ce site. Commercial de quartier.
Description
RÉSERVE COMMERCIALE DE 6 ACRES SUR LE FM 517 TRÈS ACHALANDÉ ENTRE DICKINSON ET ALVIN. EN BORDURE DU LOTISSEMENT DE LA RÉGION DES LACS DE BAY ET JUSTE À L'EST DU PROLONGEMENT FUTUR DU BOULEVARD BAY AREA JUSQU'À SANTA FE.
Impôts fonciers
| Numéros de lot | Évaluation des bâtiments | 0 $ CAD | |
| Évaluation du terrain | 1 990 378 $ CAD | Évaluation totale | 1 990 378 $ CAD |
Impôts fonciers
Présenté par
FM 517 Rd West, Dickinson, Texas 77539 - The Lakes of Bay Area
Hmm, il semble y avoir eu une erreur lors de l’envoi de votre message. Veuillez réessayer.
Merci! Votre message a été envoyé.

