Se Connecter/S’inscrire
Votre courriel a été envoyé.
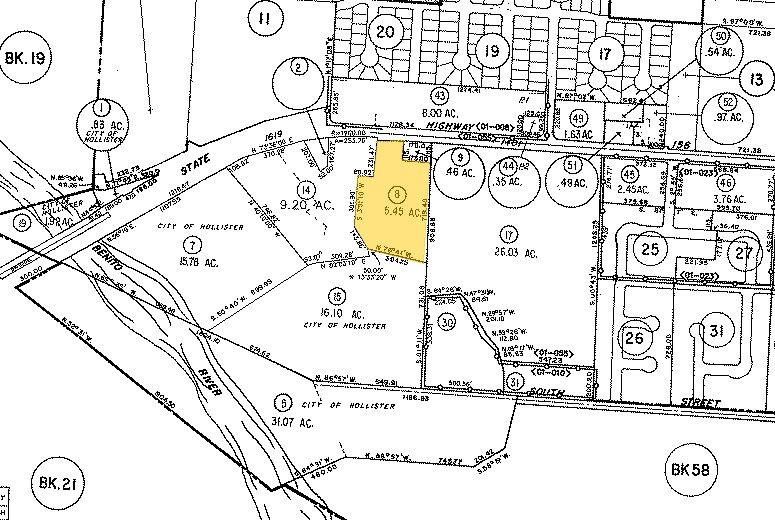
FULLY ENTITLED 157 UNITS - Price Reduced to $2,495,000 Lot • Résidentiel • 5,45 Acres • 3 412 761 $ CAD • Hollister, CA 95023



Certaines informations ont été traduites automatiquement.
Faits saillants de l'investissement
- Idéalement situé avec un accès facile à l'autoroute 156 et à l'autoroute 101.
- Le projet à usage mixte comprend des espaces résidentiels, commerciaux et communautaires.
- Développement diversifié couvrant 5,54 acres. Fournir une grande variété d'éléments d'urbanisme et d'architecture.
- Le corridor du chemin San Juan est en train d'être amélioré par la Ville de Hollister.
Résumé de l'annonce
La ville de Hollister fait l'objet d'importantes rénovations du chemin San Juan. De plus, la route 156 sera remplacée par Caltrans, ce qui permettra d'alléger la circulation entre Hollister et la route 101.
Faits sur la propriété
1 Lot disponible
Lot
| Prix | 3 412 761 $ CAD | Taille du lot | 5,45 AC |
| Prix par AC | 626 194,67 $ CAD |
| Prix | 3 412 761 $ CAD |
| Prix par AC | 626 194,67 $ CAD |
| Taille du lot | 5,45 AC |
L'objet est un terrain plat et a droit à 157 logements multifamiliaux ou condominiaux et 3 750 pieds carrés d'espace commercial le long du chemin San Juan.
Description
Projet de construction de huit bâtiments sur un site de 5,45 acres à Hollister, en Californie. Le projet comprend trois types de bâtiments, dont 116 995 pieds carrés de propriétés résidentielles, 3 750 pieds carrés d'espace commercial et 2 755 pieds carrés d'espace communautaire. Au total, 157 unités résidentielles sont proposées.
Assez praticable à pied
40/100
Très facile d’accès en voiture
80/100
Transports en commun limités
30/100
Assez praticable en vélo
20/100
Impôts fonciers
| Numéro de lot | 052-090-008-000 | Évaluation des bâtiments | 146 696 $ CAD |
| Évaluation du terrain | 2 039 772 $ CAD | Évaluation totale | 2 186 468 $ CAD |
Impôts fonciers
Numéro de lot
052-090-008-000
Évaluation du terrain
2 039 772 $ CAD
Évaluation des bâtiments
146 696 $ CAD
Évaluation totale
2 186 468 $ CAD
1 de 11
Vidéos
Visite extérieure 3D Matterport
Visite 3D Matterport
Photos
Vue depuis la rue
Rue
Carte
Présenté par
FULLY ENTITLED 157 UNITS - Price Reduced to $2,495,000
Vous êtes déjà membre? Connectez-vous
Hmm, il semble y avoir eu une erreur lors de l’envoi de votre message. Veuillez réessayer.
Merci! Votre message a été envoyé.

