Se Connecter/S’inscrire
Votre courriel a été envoyé.
Fantasy Harbour Blvd
Myrtle Beach, SC 29579
Terrain À louer


Certaines informations ont été traduites automatiquement.
Faits saillants
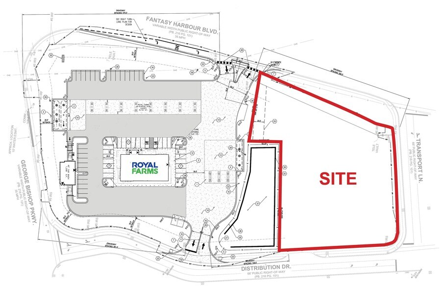
- Commercial parcel available next to new Royal Farms
- Traffic Counts: George Bishop Pkwy - 23,700±VPD, Hwy 501 - 63,200±VPD
- Minutes from Myrtle Beach International Airport and major thoroughfares (Hwy 17, Carolina Bays Pkwy).
- Zoned PDD (Planned Development District
- Close proximity to established residential communities, golf resorts, and new multifamily developments.
Aperçu de la propriété
1,39 acres au total à l'angle de Fantasy Harbour Blvd et George Bishop Pkwy. Zoné PDD.
Faits sur la propriété
| Superficie totale disponible | 1,39 AC | Utilisation proposée | |
| Type de propriété | Terrain | Rues transversales | George Bishop Pkwy |
| Sous-type de propriété | Terrain commercial |
| Superficie totale disponible | 1,39 AC |
| Type de propriété | Terrain |
| Sous-type de propriété | Terrain commercial |
| Utilisation proposée | |
| Rues transversales | George Bishop Pkwy |
1 de 4
Vidéos
Visite extérieure 3D Matterport
Visite 3D Matterport
Photos
Vue depuis la rue
Rue
Carte
