Votre courriel a été envoyé.
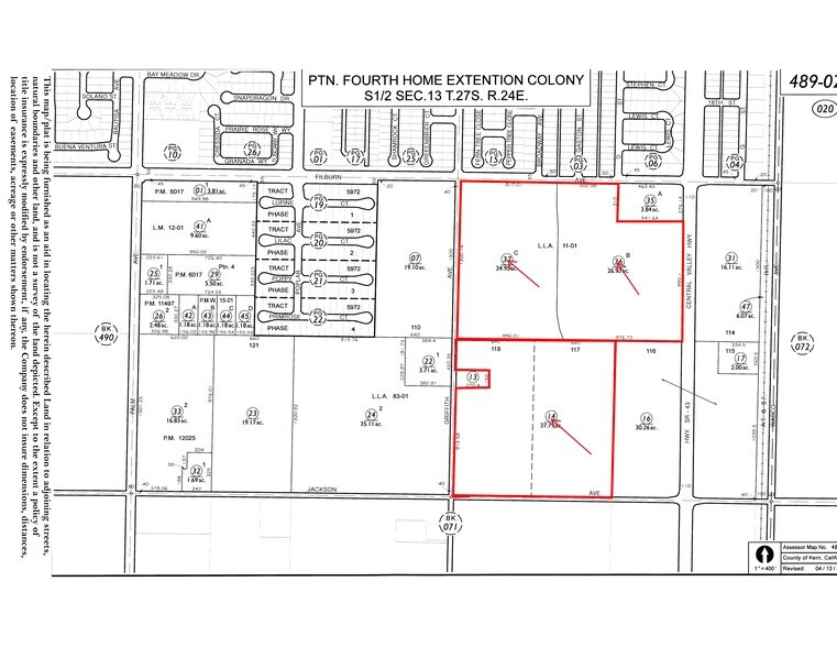
Filburn Ave - +/-89.67 Acres of Residential Zoned Land Lot • Résidentiel • 89,67 Acres • Wasco, CA 93280



Certaines informations ont été traduites automatiquement.
Faits saillants de l'investissement
- Zoned Residential (R-1-8)
- Highway 43 frontage
- Adjacent to elementary school
- Excellent development opportunity
Faits sur la propriété
| Type de vente | Investissement ou propriétaire utilisateur | Sous-type de propriété | Résidentiel |
| Nombre de lots | 1 | Utilisation proposée | Développement familial unique |
| Type de propriété | Terrain | Taille totale du lot | 89,67 AC |
| Zonage | R-1-8 | ||
| Type de vente | Investissement ou propriétaire utilisateur |
| Nombre de lots | 1 |
| Type de propriété | Terrain |
| Sous-type de propriété | Résidentiel |
| Utilisation proposée | Développement familial unique |
| Taille totale du lot | 89,67 AC |
| Zonage | R-1-8 |
1 Lot disponible
Lot
| Taille du lot | 89,67 AC |
| Taille du lot | 89,67 AC |
Description
Ce terrain résidentiel de 89,67 acres, zoné R-1-8, situé à l’intersection de l’autoroute 43 et de l’avenue Filburn à Wasco, en Californie, représente une opportunité exceptionnelle pour le développement résidentiel. Situé dans une région en pleine croissance, il offre un accès pratique aux routes principales, aux écoles, aux parcs et aux centres commerciaux, ce qui en fait un emplacement idéal pour une communauté dynamique. Grâce à un zonage flexible permettant une variété d’options de logement, cette propriété constitue un investissement précieux pour les promoteurs souhaitant contribuer à l’expansion de Wasco et répondre à la demande croissante en logements de la ville.
Impôts fonciers
| Numéros de lot | Évaluation des bâtiments | 116 013 $ CAD | |
| Évaluation du terrain | 2 463 564 $ CAD | Évaluation totale | 2 579 577 $ CAD |
Impôts fonciers
Présenté par
Filburn Ave - +/-89.67 Acres of Residential Zoned Land
Hmm, il semble y avoir eu une erreur lors de l’envoi de votre message. Veuillez réessayer.
Merci! Votre message a été envoyé.
