Se Connecter/S’inscrire
Votre courriel a été envoyé.
Certaines informations ont été traduites automatiquement.
RÉSUMÉ DE L'ANNONCE
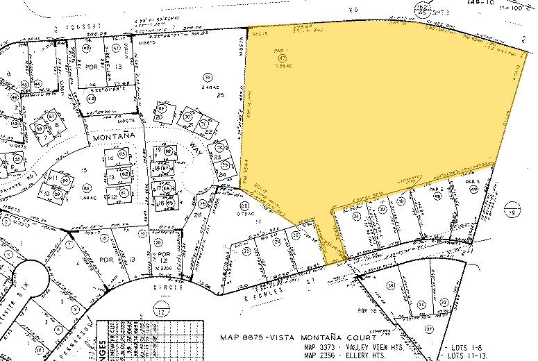
Oceanside Residential Development Opportunity For Sale
FAITS SUR LA PROPRIÉTÉ
| Type de vente | Investissement | Sous-type de propriété | Résidentiel |
| Nombre de lots | 1 | Utilisation proposée | Développement familial unique |
| Type de propriété | Terrain | Taille totale du lot | 7,35 AC |
| Zonage | RS - Residential | ||
| Type de vente | Investissement |
| Nombre de lots | 1 |
| Type de propriété | Terrain |
| Sous-type de propriété | Résidentiel |
| Utilisation proposée | Développement familial unique |
| Taille totale du lot | 7,35 AC |
| Zonage | RS - Residential |
1 LOT DISPONIBLE
Lot
| Taille du lot | 7,35 AC |
| Taille du lot | 7,35 AC |
• Rare Oceanside Residential Development Opportunity • Land Constrained Beach City • Utilities Located Nearby (Verify) • Existing Infrastructure Including Public Roads • Surrounded by Existing Single Family Residential Homes • Located near I-5
1 1
Impôts fonciers
| Numéro de lot | 149-100-47 | Évaluation des bâtiments | 0 $ CAD |
| Évaluation du terrain | 1 119 400 $ CAD | Évaluation totale | 1 119 400 $ CAD |
Impôts fonciers
Numéro de lot
149-100-47
Évaluation du terrain
1 119 400 $ CAD
Évaluation des bâtiments
0 $ CAD
Évaluation totale
1 119 400 $ CAD
1 de 6
VIDÉOS
VISITE EXTÉRIEURE 3D MATTERPORT
VISITE 3D MATTERPORT
PHOTOS
VUE DEPUIS LA RUE
RUE
CARTE
1 de 1
Présenté par
Fowles St - SW Foussat Rd / NE Fowles St
Vous êtes déjà membre? Connectez-vous
Hmm, il semble y avoir eu une erreur lors de l’envoi de votre message. Veuillez réessayer.
Merci! Votre message a été envoyé.



