Se Connecter/S’inscrire
Votre courriel a été envoyé.
Certaines informations ont été traduites automatiquement.
FAITS SAILLANTS DE L'INVESTISSEMENT
- ZONÉ : MULTIFAMILIAL : TRÈS NÉCESSAIRE À HAVELOCK, EN CAROLINA DU NORD
- UN PÂTÉ DE MAISONS PRÈS DE L'AUTOROUTE 70 EST : SUR LE CHEMIN DE LA PLAGE !
- POPULATION DU COMTÉ DE CRAVEN : 100 874 (2022) POPULATION EN PLEIN ESSOR CHAQUE ANNÉE
- EAU, ÉGOUT, ÉLECTRICITÉ DISPONIBLE
- À PROXIMITÉ DE LA BASE AÉRIENNE MARINE DE CHERRY POINT
- COMMERCES, RESTAURANTS, SERVICES SUR L'AUTOROUTE 70, HAVELOCK, CAROLINA DU NORD
RÉSUMÉ DE L'ANNONCE
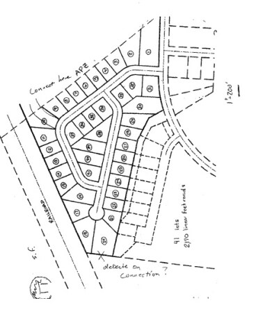
APPELEZ TOUS LES DÉVELOPPEURS ! MULTIFAMILLE TRÈS NÉCESSAIRE : HAVELOCK, CAROLINA DU NORD : À PROXIMITÉ DE LA BASE AÉRIENNE MARINE DE CHERRY POINT : À UN PÂTÉ DE MAISONS DE L'AUTOROUTE 70 EST. IMMEUBLES D'INVESTISSEMENT DANS LE DÉVELOPPEMENT : DESSINS CONCEPTUELS D'UN COMPLEXE D'APPARTEMENTS DE 240 UNITÉS AVEC COMMODITÉS OU D'UNE MAISON INDIVIDUELLE DE 59 MAISONS FAMILIALES. L'EAU, LES ÉGOUTS ET L'ÉLECTRICITÉ, LE POINT DE CERISIER ONT ÉTÉ IDENTIFIÉS PAR LE DOD COMME ÉTANT UN POINT CRITIQUE
INSTALLATION ET CROISSANCE.
- CONSTRUCTION EN COURS POUR ABRITER 6 ESCADRONS COMPLETS DE 35 JETS.
- LES PRINCIPAUX ENTREPRENEURS DU DOD MAINTIENNENT UNE PRÉSENCE PHYSIQUE, Y COMPRIS
BOEING, LOCKHEED MARTIN, RATHEON ET SIKORSKY.SUR LA RUE EN FACE DE LA PROPRIÉTÉ : EN FACE DE LA SUBDIVISION FOX RIDGE, HAVELOCK, NORD DU COMTÉ DE CRAVEN, POPULATION : 100 874. : LETTRE DU CORPS OF ENGINEERS DES ÉTATS-UNIS : TOUTES LES HAUTES TERRES : MAGASINS, RESTAURANTS, SUR LE CHEMIN DE LA PLAGE ! VILLE DE HAVELOCK :
INSTALLATION ET CROISSANCE.
- CONSTRUCTION EN COURS POUR ABRITER 6 ESCADRONS COMPLETS DE 35 JETS.
- LES PRINCIPAUX ENTREPRENEURS DU DOD MAINTIENNENT UNE PRÉSENCE PHYSIQUE, Y COMPRIS
BOEING, LOCKHEED MARTIN, RATHEON ET SIKORSKY.SUR LA RUE EN FACE DE LA PROPRIÉTÉ : EN FACE DE LA SUBDIVISION FOX RIDGE, HAVELOCK, NORD DU COMTÉ DE CRAVEN, POPULATION : 100 874. : LETTRE DU CORPS OF ENGINEERS DES ÉTATS-UNIS : TOUTES LES HAUTES TERRES : MAGASINS, RESTAURANTS, SUR LE CHEMIN DE LA PLAGE ! VILLE DE HAVELOCK :
SALLE DE DONNÉES Cliquez ici pour accéder à
- Offering Memorandum
FAITS SUR LA PROPRIÉTÉ
1 LOT DISPONIBLE
Lot 0
| Prix | 2 373 064 $ CAD | Taille du lot | 36,42 AC |
| Prix par AC | 65 158,27 $ CAD |
| Prix | 2 373 064 $ CAD |
| Prix par AC | 65 158,27 $ CAD |
| Taille du lot | 36,42 AC |
PLUS DE 36 ACRES POUR LE DÉVELOPPEMENT RÉSIDENTIEL OU MULTIFAMILIAL : TOUTES LES HAUTES TERRES : EAU, ÉGOUTS, ÉLECTRICITÉ : VOIR LES RENDUS DE 59 MAISONS OU D'UN COMPLEXE DE 240 LOGEMENTS AVEC COMMODITÉS : EMPLACEMENT PRIVILÉGIÉ : HAVELOCK, CAROLINA DU NORD : ABRITANT LA BASE MARINE DE CHERRY POINT :
1 1
Impôts fonciers
| Numéro de lot | 6-057-004 | Évaluation des bâtiments | 0 $ CAD |
| Évaluation du terrain | 329 758 $ CAD | Évaluation totale | 329 758 $ CAD |
Impôts fonciers
Numéro de lot
6-057-004
Évaluation du terrain
329 758 $ CAD
Évaluation des bâtiments
0 $ CAD
Évaluation totale
329 758 $ CAD
1 de 4
VIDÉOS
VISITE EXTÉRIEURE 3D MATTERPORT
VISITE 3D MATTERPORT
PHOTOS
VUE DEPUIS LA RUE
RUE
CARTE
1 de 1
Présenté par
Fox Ridge Ct
Vous êtes déjà membre? Connectez-vous
Hmm, il semble y avoir eu une erreur lors de l’envoi de votre message. Veuillez réessayer.
Merci! Votre message a été envoyé.



