Se Connecter/S’inscrire
Votre courriel a été envoyé.
Certaines informations ont été traduites automatiquement.
Faits saillants de l'investissement
- Excellent accès au site terrestre
- Grands liens de transport.
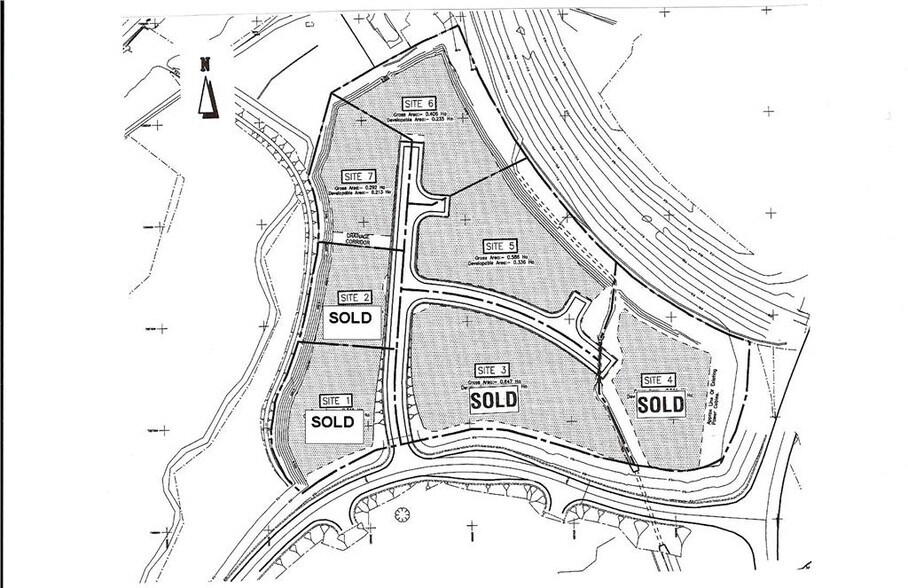
- Diagramme de niveau
Résumé de l'annonce
Le site disponible comprend un terrain de 1 acre pour le développement d'une entreprise.
L'intérêt en propriété libre est disponible. Le site a été aménagé en tant que parc d'affaires et il est prévu qu'il sera utilisé pour des utilisations relevant des classes 2 et 4 de l'ordonnance de 1997 sur l'aménagement du territoire et de l'aménagement du territoire (classes d'utilisation) (Écosse). Cela permet d'utiliser le site pour des services financiers, professionnels et autres et pour les affaires. Tout développement de cours serait assujetti à un consentement en matière de planification. Les propriétaires tiennent à ce que le parc d'affaires soit aménagé selon des normes élevées et qu'il contienne des utilisations commerciales prestigieuses et propres. Par conséquent, l'utilisation des sites sera importante pour eux et toute offre d'achat devrait donner tous les détails sur l'intention de l'acheteur pour le site. De plus, la conception des bâtiments sera une considération importante et une attention particulière sera requise aux finitions utilisées dans les bâtiments et l'aménagement paysager. Les parties intéressées seraient également tenues de faire leurs propres enquêtes auprès de l'autorité responsable de la planification.
L'intérêt en propriété libre est disponible. Le site a été aménagé en tant que parc d'affaires et il est prévu qu'il sera utilisé pour des utilisations relevant des classes 2 et 4 de l'ordonnance de 1997 sur l'aménagement du territoire et de l'aménagement du territoire (classes d'utilisation) (Écosse). Cela permet d'utiliser le site pour des services financiers, professionnels et autres et pour les affaires. Tout développement de cours serait assujetti à un consentement en matière de planification. Les propriétaires tiennent à ce que le parc d'affaires soit aménagé selon des normes élevées et qu'il contienne des utilisations commerciales prestigieuses et propres. Par conséquent, l'utilisation des sites sera importante pour eux et toute offre d'achat devrait donner tous les détails sur l'intention de l'acheteur pour le site. De plus, la conception des bâtiments sera une considération importante et une attention particulière sera requise aux finitions utilisées dans les bâtiments et l'aménagement paysager. Les parties intéressées seraient également tenues de faire leurs propres enquêtes auprès de l'autorité responsable de la planification.
Faits sur la propriété Vente en attente
| Prix | 108 040 $ CAD | Type de propriété | Terrain |
| Type de vente | Propriétaire utilisateur | Sous-type de propriété | Terrain commercial |
| Ancienneté | Pleine propriété | Utilisation proposée | Commercial |
| Nombre de lots | 1 | Taille totale du lot | 1,00 AC |
| Prix | 108 040 $ CAD |
| Type de vente | Propriétaire utilisateur |
| Ancienneté | Pleine propriété |
| Nombre de lots | 1 |
| Type de propriété | Terrain |
| Sous-type de propriété | Terrain commercial |
| Utilisation proposée | Commercial |
| Taille totale du lot | 1,00 AC |
1 Lot disponible
Lot Area 6
| Prix | 108 040 $ CAD | Taille du lot | 1,00 AC |
| Prix par AC | 108 039,57 $ CAD |
| Prix | 108 040 $ CAD |
| Prix par AC | 108 039,57 $ CAD |
| Taille du lot | 1,00 AC |
Les sites ont été préparés, y compris l'installation de l'infrastructure des routes, de l'éclairage, de l'eau, de l'électricité et des raccordements de drainage. Les sites contiennent des matériaux de surface qui doivent être enlevés avant le développement.
Description
Les sujets comprennent deux zones de terres disponibles pour le développement.
1 1
1 de 3
Vidéos
Visite extérieure 3D Matterport
Visite 3D Matterport
Photos
Vue depuis la rue
Rue
Carte
1 de 1
Présenté par
Entreprise non fournie
Glengallan Rd - Site 6
Vous êtes déjà membre? Connectez-vous
Hmm, il semble y avoir eu une erreur lors de l’envoi de votre message. Veuillez réessayer.
Merci! Votre message a été envoyé.
Votre message a été envoyé !
Activez votre compte LoopNet dès maintenant pour suivre les propriétés, recevoir des alertes en temps réel, gagner du temps sur vos demandes futures et bien plus encore.


