Se Connecter/S’inscrire
Votre courriel a été envoyé.
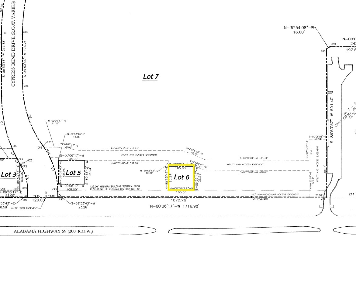
Gulf Shores Pky - Outparcel D Pelican Place Lot • Terrain commercial • 0,23 Acres • Gulf Shores, AL 36542

Certaines informations ont été traduites automatiquement.
Faits sur la propriété
1 Lot disponible
Lot
| Taille du lot | 0,23 AC |
| Taille du lot | 0,23 AC |
1 1
Assez praticable à pied
40/100
Exceptionnellement facile d’accès en voiture
100/100
Assez praticable en vélo
20/100
Impôts fonciers
| Numéro de lot | 61-08-33-3-001-003.008 | Évaluation des bâtiments | 0 $ CAD |
| Évaluation du terrain | 99 903 $ CAD | Évaluation totale | 99 903 $ CAD |
Impôts fonciers
Numéro de lot
61-08-33-3-001-003.008
Évaluation du terrain
99 903 $ CAD
Évaluation des bâtiments
0 $ CAD
Évaluation totale
99 903 $ CAD
1 de 2
Vidéos
Visite extérieure 3D Matterport
Visite 3D Matterport
Photos
Vue depuis la rue
Rue
Carte
1 de 1
Présenté par
Gulf Shores Pky - Outparcel D Pelican Place
Vous êtes déjà membre? Connectez-vous
Hmm, il semble y avoir eu une erreur lors de l’envoi de votre message. Veuillez réessayer.
Merci! Votre message a été envoyé.
