Se Connecter/S’inscrire
Votre courriel a été envoyé.
Gumtree Road - Gumtree Road at Hwy 109 Lot • Terrain industriel • 49,69 Acres • 6 281 640 $ CAD • Winston-Salem, NC 27107



Certaines informations ont été traduites automatiquement.
FAITS SAILLANTS DE L'INVESTISSEMENT
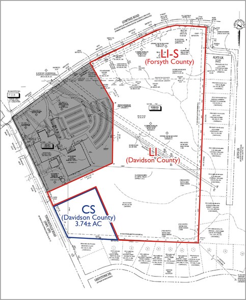
- Industrial: 45.947± acres
- Utilities Available Nearby
- Commercial: 3.74± acres
RÉSUMÉ DE L'ANNONCE
Industrial development land in the booming Union Cross Submarket. Site is primarily zoned LI/LI-S with 3.74± acres zoned Shopping Center. Draft site plans show potential for up to 400,000± SF of Industrial. Strong residential demand around site as well. Utilities adjoin the site. A small portion is zoned CS which can accommodate retail development with 432' frontage on Hwy 109.
FAITS SUR LA PROPRIÉTÉ
| Prix | 6 281 640 $ CAD | Type de propriété | Terrain |
| Type de vente | Investissement ou propriétaire utilisateur | Sous-type de propriété | Terrain industriel |
| Nombre de lots | 1 | Taille totale du lot | 49,69 AC |
| Zonage | LI, CS, LI-S | ||
| Prix | 6 281 640 $ CAD |
| Type de vente | Investissement ou propriétaire utilisateur |
| Nombre de lots | 1 |
| Type de propriété | Terrain |
| Sous-type de propriété | Terrain industriel |
| Taille totale du lot | 49,69 AC |
| Zonage | LI, CS, LI-S |
1 LOT DISPONIBLE
Lot
| Prix | 6 281 640 $ CAD | Taille du lot | 49,69 AC |
| Prix par AC | 126 416,59 $ CAD |
| Prix | 6 281 640 $ CAD |
| Prix par AC | 126 416,59 $ CAD |
| Taille du lot | 49,69 AC |
1 1
1 de 4
VIDÉOS
VISITE EXTÉRIEURE 3D MATTERPORT
VISITE 3D MATTERPORT
PHOTOS
VUE DEPUIS LA RUE
RUE
CARTE
1 de 1
Présenté par
Gumtree Road - Gumtree Road at Hwy 109
Vous êtes déjà membre? Connectez-vous
Hmm, il semble y avoir eu une erreur lors de l’envoi de votre message. Veuillez réessayer.
Merci! Votre message a été envoyé.
