Votre courriel a été envoyé.
Certaines informations ont été traduites automatiquement.
Faits saillants
- New Proposed Scheme to be Constructed
- This is a convenient location close to the busy High Street
- Allocated Car Parking
Disponibilité de l’espace (1)
Afficher les taux de location en
- Espace
- Taille
- Terme
- Taux de location
- Type
| Espace | Taille | Terme | Taux de location | Type de loyer | ||
| RDC | 1 098 pi² | Négociable | Sur demande Sur demande Sur demande Sur demande | À déterminer |
RDC
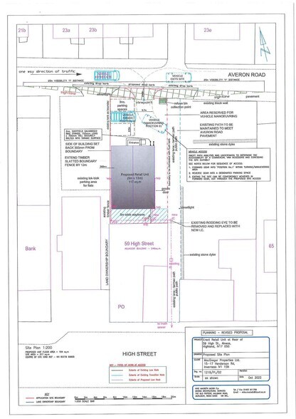
The developer intends to construct a retail/office unit on the vacant site to lease out and meet local demand.
- Classe d’utilisation : Class 1A
- Situé en ligne avec d’autres commerces de détail
- Installations WC abandonnées
- To be constructed
- Storage area
- Open plan
Types de services
Le type de service et le montant du loyer que le locataire (preneur) est tenu de payer au propriétaire (bailleur) sur la durée du bail sont négociés avant la signature du bail par les deux parties. Le type de service varie selon les services fournis. Contactez le courtier inscripteur pour tout connaître sur les frais connexes et additionnels associés à chaque type de service.
1. Réparations et assurances complètes: Toutes les obligations de réparer et d’assurer la propriété (ou de sa part de la propriété) à l’interne comme à l’externe.
2. Réparations internes seulement: Le locataire est responsable des réparations internes seulement. Le propriétaire est responsable des réparations structurelles et externes.
3. Réparations et assurances internes: Le locataire est responsable des réparations internes et des assurances pour les parties internes de la propriété seulement. Le propriétaire est responsable des réparations structurelles et externes.
4. Négociable ou à déterminer: Cette option est utilisée lorsque le contact de location ne fournit pas le type de service.
Faits sur la propriété
| Superficie totale disponible | 1 098 pi² | Superficie commerciale brute | 1 098 pi² |
| Type de propriété | Commerce de détail | Année de construction | 2025 |
| Sous-type de propriété | Boutique | État de la construction | Proposé |
| Superficie totale disponible | 1 098 pi² |
| Type de propriété | Commerce de détail |
| Sous-type de propriété | Boutique |
| Superficie commerciale brute | 1 098 pi² |
| Année de construction | 2025 |
| État de la construction | Proposé |
À propos de la propriété
Le site de développement pour le bâtiment proposé est situé directement derrière la rue principale d'Alness, sur Averon Road. Il s'agit d'un emplacement pratique, à proximité de la rue principale animée, avec un stationnement réservé. La propriété bénéficiera d'une vaste zone de chalandise ainsi que de l'activité de la rue principale voisine.
- Accès 24 heures
Principaux détaillants à proximité
Présenté par
New Development | High St
Hmm, il semble y avoir eu une erreur lors de l’envoi de votre message. Veuillez réessayer.
Merci! Votre message a été envoyé.





