Se Connecter/S’inscrire
Votre courriel a été envoyé.
Certaines informations ont été traduites automatiquement.
Faits saillants
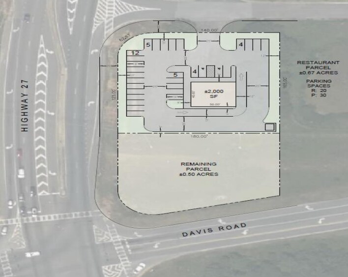
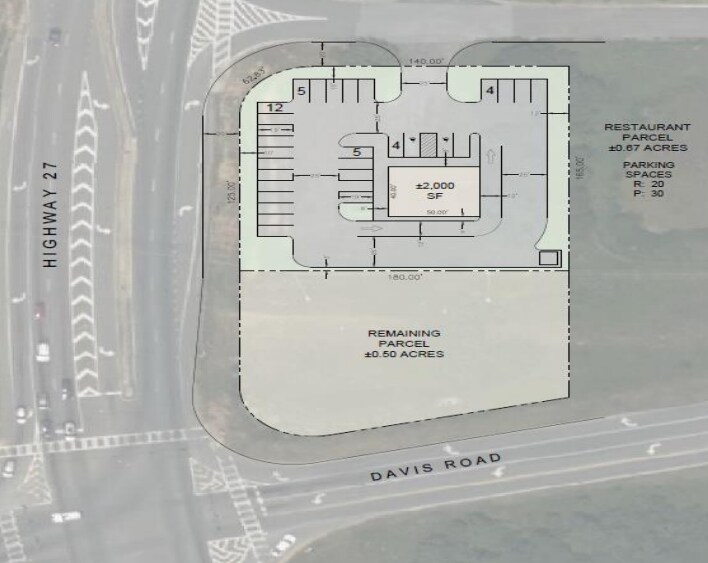
- 0,65 acre disponible à bail foncier sur la route 27 et 1,038 acre disponible à la vente sur le chemin Davis.
- Nouveau projet de développement à usage mixte proposé à quelques milles de l'aménagement.
- Les colis offrent une excellente visibilité et un accès excellents ainsi qu'une proximité avec des détaillants solides.
- Plus de 15 000 VPD
LOT Disponible
Afficher les taux de location en
| Taux de location |
|
Taille du lot | 0,65 AC |
| Durée du bail | Négociable |
| Taux de location | |
| Durée du bail | Négociable |
| Taille du lot | 0,65 AC |
0.65 Acres Available For Ground Lease on Hwy 27 and 1.038 Acres Available For Sale on Davis Road
Aperçu de la propriété
Les colis offrent une excellente visibilité et un accès excellents ainsi qu'une proximité avec des détaillants solides.
Faits sur la propriété
| Superficie totale disponible | 0,65 AC | Sous-type de propriété | Terrain commercial |
| Type de propriété | Terrain |
| Superficie totale disponible | 0,65 AC |
| Type de propriété | Terrain |
| Sous-type de propriété | Terrain commercial |
Plutôt praticable à pied
30/100
Exceptionnellement facile d’accès en voiture
90/100
Impraticable en vélo
10/100
1 de 5
Vidéos
Visite extérieure 3D Matterport
Visite 3D Matterport
Photos
Vue depuis la rue
Rue
Carte
Présenté par
Highway 27 & Davis Rd
Vous êtes déjà membre? Connectez-vous
Hmm, il semble y avoir eu une erreur lors de l’envoi de votre message. Veuillez réessayer.
Merci! Votre message a été envoyé.




