Se Connecter/S’inscrire
Votre courriel a été envoyé.
Hill Carter Pky
Ashland, VA 23005
Ashland Business Park · Terrain À vendre
·
9,04 AC


Certaines informations ont été traduites automatiquement.
Résumé de l'annonce
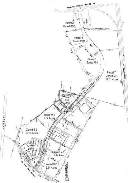
Parcelle 3 (6,566 ± acres ; 3,2 ± utilisable) - 528 000$ ; Parcelle 5 (2,48 ± acres) - 408 870$
Faits sur la propriété
2 Lots disponibles
Lot Parcel 3
| Prix | 734 601 $ CAD | Taille du lot | 6,56 AC |
| Prix par AC | 111 981,87 $ CAD |
| Prix | 734 601 $ CAD |
| Prix par AC | 111 981,87 $ CAD |
| Taille du lot | 6,56 AC |
6,566 ± acres ; 3,2 ± utilisable
Lot Parcel 5
| Prix | 568 857 $ CAD | Taille du lot | 2,48 AC |
| Prix par AC | 229 377,71 $ CAD |
| Prix | 568 857 $ CAD |
| Prix par AC | 229 377,71 $ CAD |
| Taille du lot | 2,48 AC |
2,48+/- acres
Description
Situé à SWQ des Rt 54 et I-95 Zoné M-1C et SPCC Eau et égout publics, gaz naturel Boisé, généralement de qualité Façade routière sur Junction Drive et Hill Carter Pkwy. avec accès à la route 54 à l'intersection signalée
1 de 3
Vidéos
Visite extérieure 3D Matterport
Visite 3D Matterport
Photos
Vue depuis la rue
Rue
Carte
