Se Connecter/S’inscrire
Votre courriel a été envoyé.
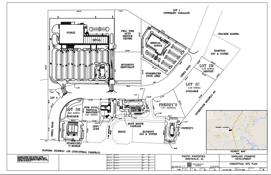
I-65 And Hwy 158 - Saraland I-65 property Lot • Terrain commercial • 0,93 Acres • 896 135 $ CAD • Saraland, AL 36571


Certaines informations ont été traduites automatiquement.
Faits saillants de l'investissement
- Les parcelles sont situées en face du nouveau projet de centre commercial ancré Publix avec un excellent accès/visibilité à l'I-65.
Résumé de l'annonce
Parcelle de terrain commercial de premier choix, à vendre ou à louer, avec un excellent accès à l'I-65 et à la route 158 (Pkwy industrielle).
Adjacent au projet de nouveau centre commercial Publix et aux nouvelles installations de l'infirmerie mobile à Saraland.
Excellent site pour le commerce de détail, le restaurant, les services bancaires ou tout autre usage commercial.
Angle nord-ouest de l'I-65 et de l'autoroute 158 (chemin industriel), Saraland, Al. 36571.
Situé juste au nord de Mobile sur la I-65.
Adjacent au projet de nouveau centre commercial Publix et aux nouvelles installations de l'infirmerie mobile à Saraland.
Excellent site pour le commerce de détail, le restaurant, les services bancaires ou tout autre usage commercial.
Angle nord-ouest de l'I-65 et de l'autoroute 158 (chemin industriel), Saraland, Al. 36571.
Situé juste au nord de Mobile sur la I-65.
Faits sur la propriété
1 Lot disponible
Lot 3H
| Prix | 896 135 $ CAD | Taille du lot | 0,93 AC |
| Prix par AC | 963 586,54 $ CAD |
| Prix | 896 135 $ CAD |
| Prix par AC | 963 586,54 $ CAD |
| Taille du lot | 0,93 AC |
1 1
Plutôt praticable à pied
30/100
Exceptionnellement facile d’accès en voiture
100/100
Impraticable en vélo
10/100
Impôts fonciers
| Numéro de lot | 22-03-07-1-000-001.029 | Évaluation des bâtiments | 18 502 $ CAD (2025) |
| Évaluation du terrain | 34 163 $ CAD (2025) | Évaluation totale | 52 665 $ CAD (2025) |
Impôts fonciers
Numéro de lot
22-03-07-1-000-001.029
Évaluation du terrain
34 163 $ CAD (2025)
Évaluation des bâtiments
18 502 $ CAD (2025)
Évaluation totale
52 665 $ CAD (2025)
1 de 3
Vidéos
Visite extérieure 3D Matterport
Visite 3D Matterport
Photos
Vue depuis la rue
Rue
Carte
1 de 1
Présenté par
I-65 And Hwy 158 - Saraland I-65 property
Vous êtes déjà membre? Connectez-vous
Hmm, il semble y avoir eu une erreur lors de l’envoi de votre message. Veuillez réessayer.
Merci! Votre message a été envoyé.
