Votre courriel a été envoyé.
I-65 Lot • Terrain industriel • 83 Acres • 17 981 075 $ CAD • Brooks, KY 40109



Certaines informations ont été traduites automatiquement.
FAITS SUR LA PROPRIÉTÉ Sous contrat
1 LOT DISPONIBLE
Lot
| Prix | 17 981 075 $ CAD | Taille du lot | 83,00 AC |
| Prix par AC | 216 639,45 $ CAD |
| Prix | 17 981 075 $ CAD |
| Prix par AC | 216 639,45 $ CAD |
| Taille du lot | 83,00 AC |
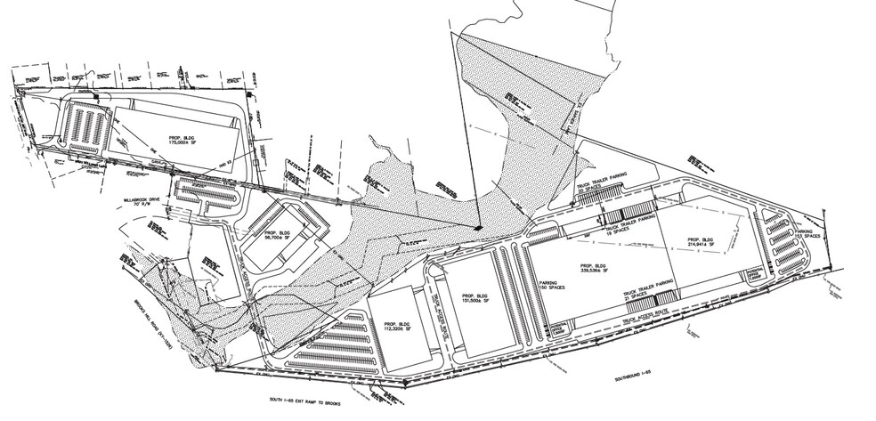
Emplacement à haute visibilité : Située directement à l'intersection de l'I-65 et du chemin Brooks Hill, cette propriété de 96 acres offre une visibilité exceptionnelle et un accès pratique pour un large éventail d'utilisateurs potentiels.
DESCRIPTION
• Potentiel de développement inégalé : Avec sa taille considérable, cette parcelle de terrain est idéal pour une variété de projets de développement. Donnez vie à votre vision, que ce soit il s'agit d'un centre commercial à grande échelle, d'un parc industriel prospère ou d'une utilisation mixte développement. • Investissement stratégique : Tirer parti de la croissance du marché de Louisville grâce à cette opération un bien immobilier de premier choix. La proximité de la propriété avec l'I-65 assure un excellent connectivité et positionnement de votre perfectionnement sur la voie du succès
Impôts fonciers
| Numéros de lot | Évaluation des bâtiments | 2 378 540 $ CAD | |
| Évaluation du terrain | 1 804 959 $ CAD | Évaluation totale | 4 183 498 $ CAD |
Impôts fonciers
Présenté par
I-65
Hmm, il semble y avoir eu une erreur lors de l’envoi de votre message. Veuillez réessayer.
Merci! Votre message a été envoyé.
