Se Connecter/S’inscrire
Votre courriel a été envoyé.
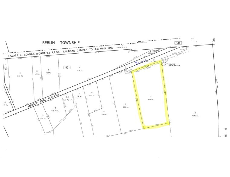
Jackson Rd
Berlin, NJ 08009
Lot 12 · Terrain À vendre
·
4,28 AC


Certaines informations ont été traduites automatiquement.
Faits saillants de l'investissement
- 340' frontage
- Easy access to highways
Résumé de l'annonce
4,2 acres à Berlin Boro, Cette parcelle se trouve dans la zone de réaménagement de Berlin Boro, égouts publics et eau disponibles, façade de 340 pieds, l'acheteur doit faire sa propre diligence raisonnable, le vendeur ou l'agent immobilier ne fait aucune déclaration, Juste à côté de la route 73 et White Horse Pike, Accès facile à partout.
Faits sur la propriété
1 Lot disponible
Lot
| Prix | 138 861 $ CAD | Taille du lot | 4,28 AC |
| Prix par AC | 32 444,16 $ CAD |
| Prix | 138 861 $ CAD |
| Prix par AC | 32 444,16 $ CAD |
| Taille du lot | 4,28 AC |
Terrain vacant
Impôts fonciers
| Numéro de lot | 05-01502-0000-00012 | Évaluation des bâtiments | 0 $ CAD |
| Évaluation du terrain | 181 157 $ CAD | Évaluation totale | 181 157 $ CAD |
Impôts fonciers
Numéro de lot
05-01502-0000-00012
Évaluation du terrain
181 157 $ CAD
Évaluation des bâtiments
0 $ CAD
Évaluation totale
181 157 $ CAD
1 de 3
Vidéos
Visite extérieure 3D Matterport
Visite 3D Matterport
Photos
Vue depuis la rue
Rue
Carte
