Se Connecter/S’inscrire
Votre courriel a été envoyé.
Junction Dr
Ashland, VA 23005
Ashland Square II · Terrain À vendre
·
6,24 AC


Certaines informations ont été traduites automatiquement.
Faits sur la propriété
| Type de vente | Investissement ou propriétaire utilisateur | Sous-type de propriété | Terrain commercial |
| Nombre de lots | 1 | Utilisation proposée | Commerce de détail |
| Type de propriété | Terrain | Taille totale du lot | 6,24 AC |
| Type de vente | Investissement ou propriétaire utilisateur |
| Nombre de lots | 1 |
| Type de propriété | Terrain |
| Sous-type de propriété | Terrain commercial |
| Utilisation proposée | Commerce de détail |
| Taille totale du lot | 6,24 AC |
1 Lot disponible
Lot
| Taille du lot | 6,24 AC |
| Taille du lot | 6,24 AC |
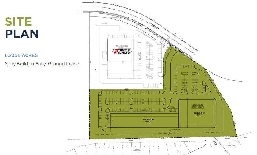
Description
VENTE/CONSTRUIRE SUR CONVENANCE/BAIL FONCIER 6,235 ± Acres Zone B-2 Joignez-vous à Food Lion, Tractor Supply et Walmart Route 54 (rue England) à la I-95 - 32 300 VPD Route 1 à Junction Drive - 22 100 VPD Communiquer avec les agents pour connaître les prix
Impôts fonciers
| Numéro de lot | 7880-20-0102 | Évaluation des bâtiments | 0 $ CAD |
| Évaluation du terrain | 1 185 241 $ CAD | Évaluation totale | 1 185 241 $ CAD |
Impôts fonciers
Numéro de lot
7880-20-0102
Évaluation du terrain
1 185 241 $ CAD
Évaluation des bâtiments
0 $ CAD
Évaluation totale
1 185 241 $ CAD
1 de 3
Vidéos
Visite extérieure 3D Matterport
Visite 3D Matterport
Photos
Vue depuis la rue
Rue
Carte
