Votre courriel a été envoyé.
SWQ Lapeer & Irish Lapeer Rd Terrain à louer de 2,73 acres • Terrain commercial • Davison, MI 48423



Certaines informations ont été traduites automatiquement.
Faits saillants
- Situated in a robust commercial corridor with consistent traffic counts and strong consumer demand.
- Surrounded by major retailers such as Meijer, Kroger, Walmart, Target, Menards, and Starbucks.
- Zoned GC (General Commercial) to support retail, dining, and service uses.
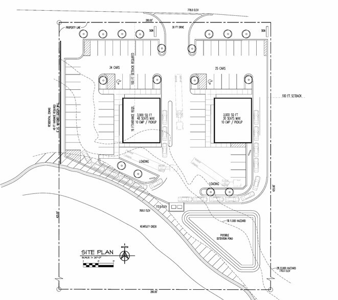
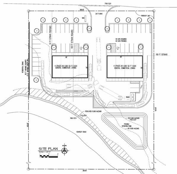
- Proposed site plan offers approximately 8,000 SF of buildable space with flexibility for future tenants.
- Convenient access to I-69, enhancing regional connectivity.
- Corner location with high visibility at the intersection of Irish Road and Lapeer Road.
LOT Disponible
Afficher les taux de location en
| Taux de location |
|
Taille du lot | 2,73 AC |
| Durée du bail | Négociable |
| Taux de location | |
| Durée du bail | Négociable |
| Taille du lot | 2,73 AC |
This 2.73-acre parcel, located at the southwest corner of Irish Road (M-15) and Lapeer Road in Davison, Michigan, provides an outstanding opportunity for commercial development in a growing retail corridor. Positioned at a signalized intersection with excellent visibility and immediate access to I-69, the site is ideally suited for a range of uses including retail, restaurants, or service-oriented businesses. Zoned General Commercial (GC), the property offers broad flexibility and features a proposed buildable footprint of approximately 8,000 square feet. The surrounding trade area benefits from strong consumer traffic driven by national anchors such as Meijer, Kroger, Walmart, Menards, ALDI, and a new Target development. Additional nearby brands include Starbucks, Tractor Supply, and several quick-service restaurant chains. This location is supported by a stable economic base including manufacturing, healthcare, and education, ensuring consistent daytime population and strong purchasing power. The parcel’s size and configuration allow for efficient site planning, ample parking accommodations, and potential drive-thru capabilities.
Aperçu de la propriété
This 2.73-acre development site occupies a high-visibility, signalized corner at the southwest quadrant of Irish Road (M-15) and Lapeer Road in Davison, Michigan. Positioned within a thriving retail corridor, the property benefits from strong traffic counts, immediate connectivity to I-69, and proximity to a roster of national tenants including Meijer, Kroger, Walmart, Menards, and Target. The parcel is zoned General Commercial, allowing a broad range of uses from retail to restaurant and service-oriented businesses. A proposed buildable area of approximately 8,000 SF provides flexibility for multiple layout options and efficient site planning. This location delivers steady exposure and caters to a growing economic base supported by manufacturing, healthcare, and education, ensuring consistent consumer activity and long-term demand. With established anchors nearby and new developments under construction, the property offers an excellent opportunity to capitalize on the visibility and access of one of the area’s premier intersections. Ample space is available to accommodate modern parking requirements, drive-thru operations, and efficient traffic flow design.
Faits sur la propriété
| Superficie totale disponible | 2,73 AC | Sous-type de propriété | Terrain commercial |
| Type de propriété | Terrain | Utilisation proposée | Commercial |
| Superficie totale disponible | 2,73 AC |
| Type de propriété | Terrain |
| Sous-type de propriété | Terrain commercial |
| Utilisation proposée | Commercial |
Présenté par
SWQ Lapeer & Irish | Lapeer Rd
Hmm, il semble y avoir eu une erreur lors de l’envoi de votre message. Veuillez réessayer.
Merci! Votre message a été envoyé.
