Votre courriel a été envoyé.
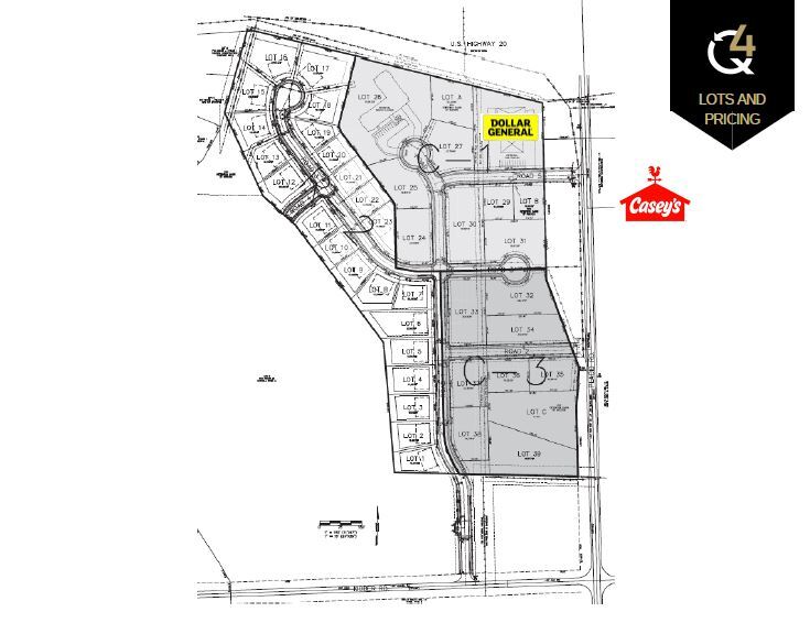
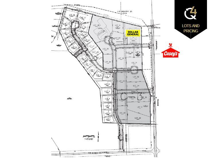
Lot 24 - 39 Placid Road - Highway 20 and Placid Road Lot • Terrain commercial • 9,45 Acres • Epworth, IA 52045

Certaines informations ont été traduites automatiquement.
Faits saillants de l'investissement
- Région métropolitaine de Dubuque
- Développement à usages mixtes
- Dollar General a acheté un terrain en développement
Résumé de l'annonce
Lots 24 - Lot 39 disponibles à la vente. Se reporter au dépliant de commercialisation pour les acres et les prix de chaque lot.
Faits sur la propriété
| Type de vente | Investissement | Sous-type de propriété | Terrain commercial |
| Nombre de lots | 1 | Utilisation proposée | |
| Type de propriété | Terrain | Taille totale du lot | 9,45 AC |
| Zonage | C-1, C-3 - Commerciale | ||
| Type de vente | Investissement |
| Nombre de lots | 1 |
| Type de propriété | Terrain |
| Sous-type de propriété | Terrain commercial |
| Utilisation proposée | |
| Taille totale du lot | 9,45 AC |
| Zonage | C-1, C-3 - Commerciale |
1 Lot disponible
Lot Lot 24-39
| Taille du lot | 9,45 AC |
| Taille du lot | 9,45 AC |
Terrains de développement commercial à vendre dans la région métropolitaine de Dubuque, à l'angle est de l'autoroute 20 et du chemin Placid dans la communauté en pleine croissance d'Epworth. Des terrains de développement de premier ordre allant de 0,299 à 9,455 acres à seulement 15 milles à l'extérieur de Dubuque.
Description
Des terrains de développement de premier ordre allant de 0,299 à 9,455 acres dans la dynamique région métropolitaine de Dubuque, précisément située à Epworth. Ces lots soigneusement sélectionnés offrent un accès pratique à l'autoroute 20, à l'autoroute 151 et à Dubuque, assurant un transport fluide et une visibilité accrue. Qu'il s'agisse de planifier une communauté résidentielle dynamique ou un carrefour commercial animé, cet emplacement stratégique offre un cadre idéal pour des projets novateurs. Notamment, Dollar General a déjà obtenu le lot 28 dans ce nouveau projet et à venir. Lots 24 - 39 disponibles à la vente. Se reporter au dépliant de marketing pour connaître les acres et les prix de chaque lot.
Présenté par
Lot 24 - 39 Placid Road - Highway 20 and Placid Road
Hmm, il semble y avoir eu une erreur lors de l’envoi de votre message. Veuillez réessayer.
Merci! Votre message a été envoyé.
