Se Connecter/S’inscrire
Votre courriel a été envoyé.
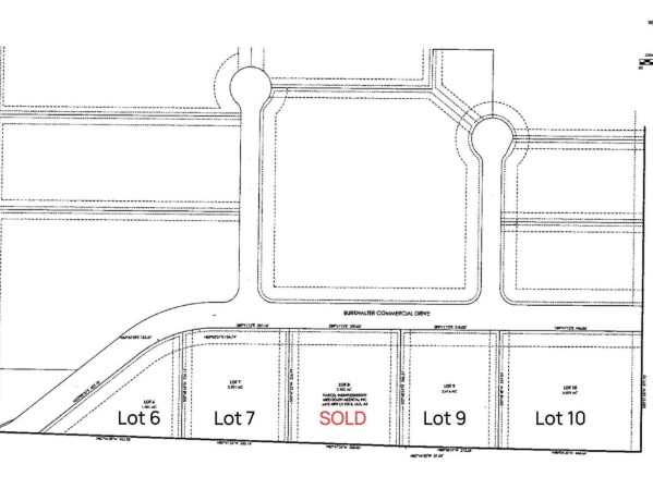
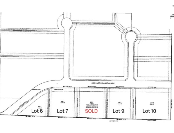
Lot 6 Burkhalter Industrial Drive Lot • Terrain commercial • 1,91 Acres • 262 698 $ CAD • Maumelle, AR 72113

Certaines informations ont été traduites automatiquement.
Résumé de l'annonce
Business growth opportunities with lots on Burkhalter Industrial Drive, North Little Rock, Arkansas Endless potential for development, making it an ideal investment for a growing or new business.
Faits sur la propriété
| Prix | 262 698 $ CAD | Sous-type de propriété | Terrain commercial |
| Type de vente | Investissement | Utilisation proposée | Commercial |
| Nombre de lots | 1 | Taille totale du lot | 1,91 AC |
| Type de propriété | Terrain |
| Prix | 262 698 $ CAD |
| Type de vente | Investissement |
| Nombre de lots | 1 |
| Type de propriété | Terrain |
| Sous-type de propriété | Terrain commercial |
| Utilisation proposée | Commercial |
| Taille totale du lot | 1,91 AC |
1 Lot disponible
Lot
| Prix | 262 698 $ CAD | Taille du lot | 1,91 AC |
| Prix par AC | 137 538,03 $ CAD |
| Prix | 262 698 $ CAD |
| Prix par AC | 137 538,03 $ CAD |
| Taille du lot | 1,91 AC |
1 1
Plutôt praticable à pied
20/100
Exceptionnellement facile d’accès en voiture
100/100
Transports en commun très limités
10/100
Plutôt praticable en vélo
40/100
Impôts fonciers
| Numéro de lot | 42M-922-00-005-00 | Évaluation des bâtiments | 0 $ CAD |
| Évaluation du terrain | 92 308 $ CAD | Évaluation totale | 92 308 $ CAD |
Impôts fonciers
Numéro de lot
42M-922-00-005-00
Évaluation du terrain
92 308 $ CAD
Évaluation des bâtiments
0 $ CAD
Évaluation totale
92 308 $ CAD
1 de 2
Vidéos
Visite extérieure 3D Matterport
Visite 3D Matterport
Photos
Vue depuis la rue
Rue
Carte
1 de 1
Présenté par
Lot 6 Burkhalter Industrial Drive
Vous êtes déjà membre? Connectez-vous
Hmm, il semble y avoir eu une erreur lors de l’envoi de votre message. Veuillez réessayer.
Merci! Votre message a été envoyé.
