Se Connecter/S’inscrire
Votre courriel a été envoyé.
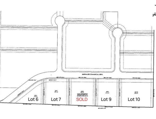
Lot 9 Burkhalter Industrial Drive Lot • Terrain commercial • 2,62 Acres • 353 542 $ CAD • Maumelle, AR 72113

Certaines informations ont été traduites automatiquement.
Résumé de l'annonce
Business growth opportunities with lots on Burkhalter Industrial Drive, North Little Rock, Arkansas. Endless potential for development, making it an ideal investment for a growing or new business.
Faits sur la propriété
| Prix | 353 542 $ CAD | Sous-type de propriété | Terrain commercial |
| Type de vente | Investissement | Utilisation proposée | Commercial |
| Nombre de lots | 1 | Taille totale du lot | 2,62 AC |
| Type de propriété | Terrain |
| Prix | 353 542 $ CAD |
| Type de vente | Investissement |
| Nombre de lots | 1 |
| Type de propriété | Terrain |
| Sous-type de propriété | Terrain commercial |
| Utilisation proposée | Commercial |
| Taille totale du lot | 2,62 AC |
1 Lot disponible
Lot
| Prix | 353 542 $ CAD | Taille du lot | 2,62 AC |
| Prix par AC | 134 939,85 $ CAD |
| Prix | 353 542 $ CAD |
| Prix par AC | 134 939,85 $ CAD |
| Taille du lot | 2,62 AC |
1 1
Impôts fonciers
| Numéro de lot | 42M-922-00-005-00 | Évaluation des bâtiments | 0 $ CAD |
| Évaluation du terrain | 94 140 $ CAD | Évaluation totale | 94 140 $ CAD |
Impôts fonciers
Numéro de lot
42M-922-00-005-00
Évaluation du terrain
94 140 $ CAD
Évaluation des bâtiments
0 $ CAD
Évaluation totale
94 140 $ CAD
1 de 2
Vidéos
Visite extérieure 3D Matterport
Visite 3D Matterport
Photos
Vue depuis la rue
Rue
Carte
1 de 1
Présenté par
Lot 9 Burkhalter Industrial Drive
Vous êtes déjà membre? Connectez-vous
Hmm, il semble y avoir eu une erreur lors de l’envoi de votre message. Veuillez réessayer.
Merci! Votre message a été envoyé.
Votre message a été envoyé !
Activez votre compte LoopNet dès maintenant pour suivre les propriétés, recevoir des alertes en temps réel, gagner du temps sur vos demandes futures et bien plus encore.
