Votre courriel a été envoyé.
Minonite Road - Minonite & Koeblen Pad Site Lot • Terrain commercial • 1,09 Acres • Richmond, TX 77469



Certaines informations ont été traduites automatiquement.
Faits saillants de l'investissement
- Close proximity to area schools (3,000+ students)
- Proximate to new/existing residential communities
Faits sur la propriété
| Type de vente | Investissement ou propriétaire utilisateur | Sous-type de propriété | Terrain commercial |
| Nombre de lots | 1 | Taille totale du lot | 1,09 AC |
| Type de propriété | Terrain |
| Type de vente | Investissement ou propriétaire utilisateur |
| Nombre de lots | 1 |
| Type de propriété | Terrain |
| Sous-type de propriété | Terrain commercial |
| Taille totale du lot | 1,09 AC |
1 Lot disponible
Lot
| Taille du lot | 1,09 AC |
| Taille du lot | 1,09 AC |
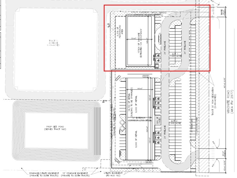
1.087-acre pad site. Utilities to be brought to site and detention provided by owner. Available for sale, ground lease, or BTS.
Description
1.087-acre pad site opportunity for sale, ground lease, or BTS next to The Shops at Minonite, a proposed retail center in Rosenburg, TX in the heart of new residential growth coming to the Richmond/Rosenburg area. The development is directly across Minonite Road from Wright Junior High, Steenbergen Middle School, and Thomas E. Randle High School, and is positioned near several existing and planned developments, including The George, a 1,500-acre master-planned community from Johnson Development, and Austin Point, a 4,700-acre development from Signorelli Company.
Impôts fonciers
| Numéro de lot | 0401-00-002-0095-901 | Évaluation des bâtiments | 16 170 $ CAD |
| Évaluation du terrain | 1 232 $ CAD | Évaluation totale | 17 402 $ CAD |
Impôts fonciers
Présenté par
Minonite Road - Minonite & Koeblen Pad Site
Hmm, il semble y avoir eu une erreur lors de l’envoi de votre message. Veuillez réessayer.
Merci! Votre message a été envoyé.
