Se Connecter/S’inscrire
Votre courriel a été envoyé.
Munson Street NW
Canton, OH 44718
36,000/SF Office Build to Suit · Bureau Propriété À louer
·
36 000 pi²


Certaines informations ont été traduites automatiquement.
Aperçu de la propriété
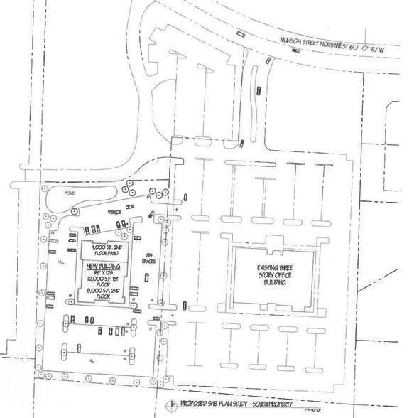
12 000/pc par étage Locataire multiple à déterminer Beaucoup de places de stationnement Près de Belden Village
Faits sur la propriété
Type de bâtiment
Bureau
Tarification de LoopNet
4 Étoiles
Hauteur du bâtiment
3 étages
Taille du bâtiment
36 000 pi²
Classe d’immeuble
A
Superficie de plancher typique
12 000 pi²
Stationnement
Stationnement Surface
1 de 3
Vidéos
Visite extérieure 3D Matterport
Visite 3D Matterport
Photos
Vue depuis la rue
Rue
Carte
