Se Connecter/S’inscrire
Votre courriel a été envoyé.
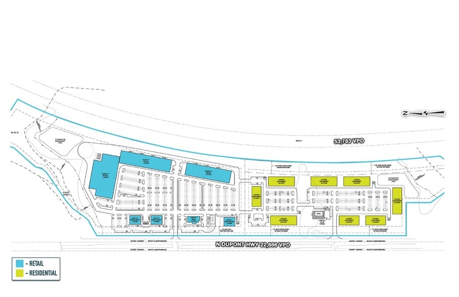
N Dupont Hwy
Cheswold, DE 19936
Dover Mixed-Use Development · Terrain À louer


Certaines informations ont été traduites automatiquement.
Faits saillants
- 33 874 ménages au total à moins de 15 minutes de route
- Visibilité depuis la route 7 et l'autoroute Dupont
- Nouvelle croissance résidentielle dans la région
Aperçu de la propriété
Nouveau développement dans la capitale du Delaware
Faits sur la propriété
1 de 3
Vidéos
Visite extérieure 3D Matterport
Visite 3D Matterport
Photos
Vue depuis la rue
Rue
Carte
