Votre courriel a été envoyé.
Certaines informations ont été traduites automatiquement.
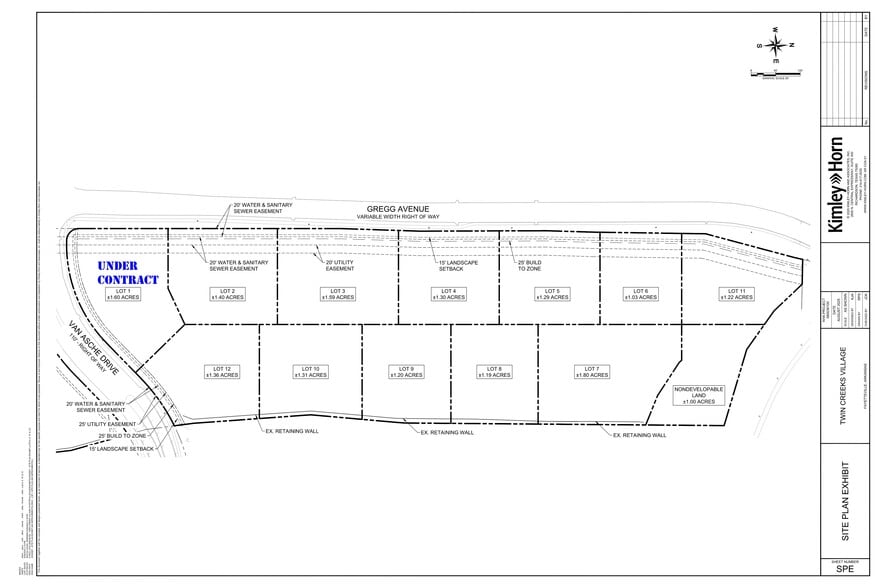
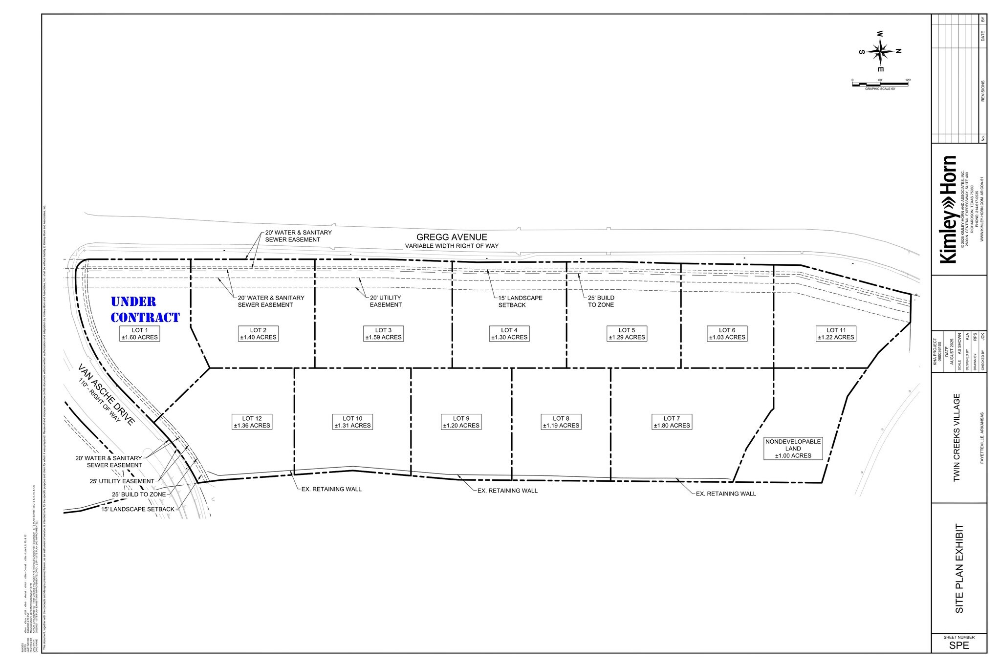
Faits saillants de l'investissement
- Easy access to I-49/Fulbright Expy.
- Access to the Razorback Greenway Trail.
- Close to Washington Regional Hospital.
- Last Lots left in Steele Crossing.
Faits sur la propriété
13 Lots disponibles
Lot 1
| Taille du lot | 1,60 AC |
| Taille du lot | 1,60 AC |
+/- 1.60 AC. At the corner of Van Asche Dr and Gregg Avenue.
Lot 2
| Taille du lot | 1,40 AC |
| Taille du lot | 1,40 AC |
+/- 1.40 AC fronting Gregg Avenue.
Lot 3
| Taille du lot | 1,59 AC |
| Taille du lot | 1,59 AC |
+/- 1.59 AC fronting Gregg Avenue.
Lot 4
| Taille du lot | 1,30 AC |
| Taille du lot | 1,30 AC |
+/- 1.30 AC fronting Gregg Avenue.
Lot 5
| Taille du lot | 1,29 AC |
| Taille du lot | 1,29 AC |
+/- 1.29 AC fronting Gregg Avenue.
Lot 6
| Taille du lot | 1,03 AC |
| Taille du lot | 1,03 AC |
+/- 1.03 AC fronting Gregg Avenue.
Lot 7
| Taille du lot | 1,80 AC |
| Taille du lot | 1,80 AC |
+/- 1.80 AC.
Lot 8
| Taille du lot | 1,19 AC |
| Taille du lot | 1,19 AC |
+/- 1.19 AC.
Lot 9
| Taille du lot | 1,20 AC |
| Taille du lot | 1,20 AC |
+/- 1.20 AC.
Lot 10
| Taille du lot | 1,31 AC |
| Taille du lot | 1,31 AC |
+/- 1.31 AC.
Lot 11
| Taille du lot | 1,22 AC |
| Taille du lot | 1,22 AC |
+/- 1.22 AC fronting Gregg Avenue.
Lot 12
| Taille du lot | 1,36 AC |
| Taille du lot | 1,36 AC |
+/- 1.36 AC fronting Van Asche Drive.
Lot NONDVP
| Taille du lot | 1,00 AC |
| Taille du lot | 1,00 AC |
+/- 1.00 AC, NONDEVELOPABLE LAND.
Description
Twin Creeks Village offers 17 acres of premier commercial development opportunity in the highly sought-after Uptown Fayetteville area, ideal for retail, medical, office, and restaurant use. Strategically positioned at the corner of N Gregg Ave (19,000 VPD) and W Van Asche Dr (17,000 VPD, this location provides exceptional visibility and ease of access to I-49/Fulbright Expressway. Situated with close proximity to major retailers like Target, Kohl's, Walmart, and the Washington Regional Hospital. A total of 17 acres are available, subdivided into 12 lots, with Lot 1 already under contract. These are the last remaining lots in the Steele Crossing area. The lots are perfect for various developments, including: Retail, Restaurant, Medical & Professional Office: This area is ideal for clinics, banks and title companies. The property is part of a vibrant area with access to the city's walk and bike trail system, nearby hotels, restaurants, and shopping.
Présenté par
N Gregg Ave - Twin Creeks Village
Hmm, il semble y avoir eu une erreur lors de l’envoi de votre message. Veuillez réessayer.
Merci! Votre message a été envoyé.



