Votre courriel a été envoyé.
N Phoenix Rd - Phoenix I-5 Development Land Lot • Terrain commercial • 2,93 Acres • 2 113 403 $ CAD • Phoenix, OR 97535


Certaines informations ont été traduites automatiquement.
FAITS SAILLANTS DE L'INVESTISSEMENT
- Possibilité de développement commercial au large de la I-5 dans le sud de l'Oregon
- UNE PARCELLE RESTANTE - 4,04 acres brutes
- Directement à partir du nouvel échangeur Diamond divergent au chemin N Phoenix et à l'I-5
- Lieu de développement à exposition élevée juste au sud de Medford
- Situé à la sortie 24 et en face de Home Depot/La-Z-Boy Furniture
- CH (Autoroute commerciale) Zonage Permet, vente au détail, restaurant, bureau, hébergement, vente en gros et plus
RÉSUMÉ DE L'ANNONCE
2,93 acres restants • Excellente exposition à la sortie 24 juste au sud de Medford
--------------------
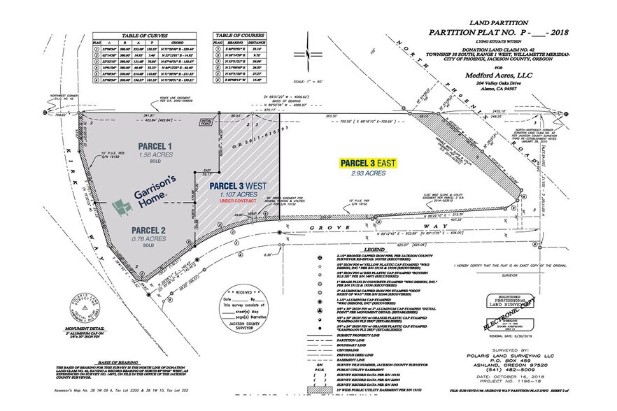
UNE PARCELLE RESTANTE
Prix de vente : 1 532 640$ (12$ /SF)
Parcelle 1 | 1,56 Acres : VENDU
Parcelle 2 | 0,78 Acres : VENDU
Parcelle 3 (Ouest) | 1.107 Acres : VENDU
Parcelle 3 (Est) | 2,93 Acres : DISPONIBLE
--------------------
Caractéristiques de l'emplacement :
• Sortie 24 immédiatement de l'Interstate 5 à Phoenix, OR - à seulement 4 milles au sud du centre-ville de Medford - plus de 41 000 VPD
• Un nouvel échangeur diamantaire divergent alimente d'importants nouveaux projets de développement et de projets de construction
• Les points forts à proximité comprennent The Home Depot, La-Z-Boy, DSU Peterbilt & GMC, Shell, America's Best Value Inn, le concessionnaire de quartier U-Haul, Indigo Creek Outfitters, Dollar Tree, Holiday RV Park, entreposage à la sortie 24, Pear Tree Lane Self Storage, Rite Aid, Ray's Food Place, USPS, Phoenix Self Storage
FAITS SUR LA PROPRIÉTÉ
1 LOT DISPONIBLE
Lot #3 East
| Prix | 2 113 403 $ CAD | Taille du lot | 2,93 AC |
| Prix par AC | 721 298,03 $ CAD |
| Prix | 2 113 403 $ CAD |
| Prix par AC | 721 298,03 $ CAD |
| Taille du lot | 2,93 AC |
DERNIÈRE PARCELLE RESTANTE • 2,93 acres disponibles dans la parcelle 3 (partie Est) Opportunité de développement commercial de premier plan près de l'I-5 juste au sud de Medford OR CH - Zonage routier commercial • Commerce de détail, restaurant, parc de VR, hébergement et plus
DESCRIPTION
• Terrain de développement commercial de premier ordre à Phoenix, OR près de la I-5 près de Medford • Occasion rare avec une excellente exposition • 2,93 acres restants dans la parcelle 3 (partiellement sous contrat) • Adjacent au prolongement de la limite de croissance urbaine de Medford (UGB) • Directement à côté du nouvel échangeur diamantaire à N Phoenix et I-5 • Les parcelles 1 et 2 abritent le prochain détaillant d'ameublement Garrison Home - En construction • Autoroute commerciale (CH) permet la vente au détail, le restaurant, le bureau, l'hébergement et le parc de véhicules de loisirs, le divertissement, la vente en gros et plus encore
Présenté par
N Phoenix Rd - Phoenix I-5 Development Land
Hmm, il semble y avoir eu une erreur lors de l’envoi de votre message. Veuillez réessayer.
Merci! Votre message a été envoyé.

