Se Connecter/S’inscrire
Votre courriel a été envoyé.
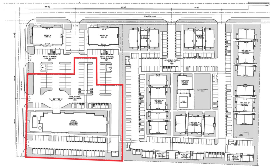
NE 65th Ave - Hotel Development Site - Ridgefield, WA Lot • Terrain commercial • 2,14 Acres • 3 425 000 $ CAD • Ridgefield, WA 98642



Certaines informations ont été traduites automatiquement.
Résumé de l'annonce
MAJ Commercial Real Estate is pleased to present a
strategic hotel development opportunity in Ridgefield,
WA, located just north of the newly constructed Clark
College campus. This four-story project is planned for 101
well-appointed rooms and is ideally positioned to capture
the growing demand generated by the region’s rapid
economic expansion, strong visitor traffic, and emerging
educational and corporate hubs.
The property’s prime location adjacent to Clark College
offers direct access to a steady flow of student, faculty, and
visitor activity. Its proximity to Interstate 5 ensures excellent
visibility and connectivity to Portland, Vancouver, and the
rapidly growing Clark County region. The site’s design and
scale make it ideal for a national or boutique hotel brand
seeking a modern, high-visibility presence in a thriving
submarket.
Surrounded by a dynamic mix of new development,
including retail, dining, entertainment, and residential
communities, the area offers strong fundamentals for
sustained hotel performance. Ridgefield has become a
sought-after destination for visitors attending events at
the nearby ilani Casino, Cascade’s Amphitheater, exploring
regional wineries, or doing business within the expanding
industrial and business parks.
With its unmatched location, direct adjacency to a major
educational institution, and growing local demand
drivers, this strategic 101-room hotel project offers a rare
opportunity for an investor or operator to secure a foothold
in one of Southwest Washington’s fastest-growing markets.
strategic hotel development opportunity in Ridgefield,
WA, located just north of the newly constructed Clark
College campus. This four-story project is planned for 101
well-appointed rooms and is ideally positioned to capture
the growing demand generated by the region’s rapid
economic expansion, strong visitor traffic, and emerging
educational and corporate hubs.
The property’s prime location adjacent to Clark College
offers direct access to a steady flow of student, faculty, and
visitor activity. Its proximity to Interstate 5 ensures excellent
visibility and connectivity to Portland, Vancouver, and the
rapidly growing Clark County region. The site’s design and
scale make it ideal for a national or boutique hotel brand
seeking a modern, high-visibility presence in a thriving
submarket.
Surrounded by a dynamic mix of new development,
including retail, dining, entertainment, and residential
communities, the area offers strong fundamentals for
sustained hotel performance. Ridgefield has become a
sought-after destination for visitors attending events at
the nearby ilani Casino, Cascade’s Amphitheater, exploring
regional wineries, or doing business within the expanding
industrial and business parks.
With its unmatched location, direct adjacency to a major
educational institution, and growing local demand
drivers, this strategic 101-room hotel project offers a rare
opportunity for an investor or operator to secure a foothold
in one of Southwest Washington’s fastest-growing markets.
Faits sur la propriété
| Prix | 3 425 000 $ CAD | Sous-type de propriété | Terrain commercial |
| Type de vente | Propriétaire utilisateur | Utilisation proposée | |
| Nombre de lots | 1 | Taille totale du lot | 2,14 AC |
| Type de propriété | Terrain |
| Prix | 3 425 000 $ CAD |
| Type de vente | Propriétaire utilisateur |
| Nombre de lots | 1 |
| Type de propriété | Terrain |
| Sous-type de propriété | Terrain commercial |
| Utilisation proposée | |
| Taille totale du lot | 2,14 AC |
1 Lot disponible
Lot 214224000
| Prix | 3 425 000 $ CAD | Taille du lot | 2,14 AC |
| Prix par AC | 1 600 467,30 $ CAD |
| Prix | 3 425 000 $ CAD |
| Prix par AC | 1 600 467,30 $ CAD |
| Taille du lot | 2,14 AC |
1 1
Plutôt praticable à pied
20/100
Exceptionnellement facile d’accès en voiture
100/100
Transports en commun limités
30/100
Assez praticable en vélo
30/100
Impôts fonciers
| Numéros de lot | Évaluation des bâtiments | 0 $ CAD | |
| Évaluation du terrain | 2 636 976 $ CAD | Évaluation totale | 2 636 976 $ CAD |
Impôts fonciers
Numéros de lot
Évaluation du terrain
2 636 976 $ CAD
Évaluation des bâtiments
0 $ CAD
Évaluation totale
2 636 976 $ CAD
1 de 5
Vidéos
Visite extérieure 3D Matterport
Visite 3D Matterport
Photos
Vue depuis la rue
Rue
Carte
1 de 1
Présenté par
Entreprise non fournie
NE 65th Ave - Hotel Development Site - Ridgefield, WA
Vous êtes déjà membre? Connectez-vous
Hmm, il semble y avoir eu une erreur lors de l’envoi de votre message. Veuillez réessayer.
Merci! Votre message a été envoyé.
