Se Connecter/S’inscrire
Votre courriel a été envoyé.
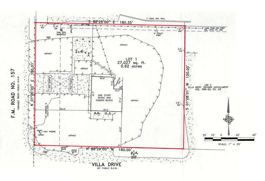
NEC FM 157 Industrial Blvd
Euless, TX 76040
Founders Parc · Terrain À vendre
·
0,62 AC


Certaines informations ont été traduites automatiquement.
Faits saillants de l'investissement
- Strong visibility to Aldi, Ross, and the Home Depot on S. Industrial Blvd.
- Strong traffic counts and visibility
Résumé de l'annonce
Pad site available for sale or lease.
Faits sur la propriété
| Type de vente | Investissement | Sous-type de propriété | Terrain commercial |
| Nombre de lots | 1 | Utilisation proposée | |
| Type de propriété | Terrain | Taille totale du lot | 0,62 AC |
| Type de vente | Investissement |
| Nombre de lots | 1 |
| Type de propriété | Terrain |
| Sous-type de propriété | Terrain commercial |
| Utilisation proposée | |
| Taille totale du lot | 0,62 AC |
1 Lot disponible
Lot
| Taille du lot | 0,62 AC |
| Taille du lot | 0,62 AC |
Pad site available for sale or lease.
Description
Pad site available on high-traffic S. Industrial Blvd.
Impôts fonciers
| Numéro de lot | 03274551 | Évaluation des bâtiments | 21 454 $ CAD |
| Évaluation du terrain | 366 868 $ CAD | Évaluation totale | 388 322 $ CAD |
Impôts fonciers
Numéro de lot
03274551
Évaluation du terrain
366 868 $ CAD
Évaluation des bâtiments
21 454 $ CAD
Évaluation totale
388 322 $ CAD
1 de 8
Vidéos
Visite extérieure 3D Matterport
Visite 3D Matterport
Photos
Vue depuis la rue
Rue
Carte
