Se Connecter/S’inscrire
Votre courriel a été envoyé.
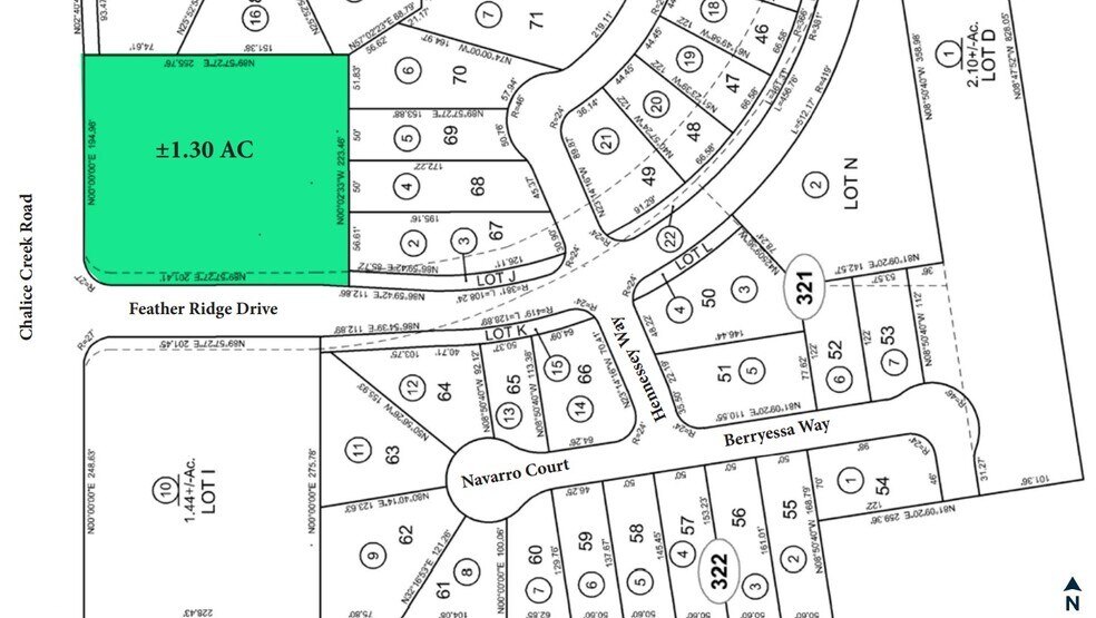
NEC Feather River Blvd & Chalice Creek Rd Terrain à louer de 1,3 acres • Terrain commercial • Plumas Lake, CA 95961


Certaines informations ont été traduites automatiquement.
Faits saillants
- Zonage commercial
- Plan du site et élévation du bâtiment terminés pour QSR Drive-Thru
- Les services publics sont soudés et le terrain est nivelé
- Idéal pour les centres de strip-tease au détail
- Améliorations hors site terminées
LOT Disponible
Afficher les taux de location en
| Taux de location |
|
Taille du lot | 1,30 AC |
| Durée du bail | Négociable |
| Taux de location | |
| Durée du bail | Négociable |
| Taille du lot | 1,30 AC |
Off Site Improvements Completed. Utilities stubbed. Land is graded.
Aperçu de la propriété
Plumas Lake, en Californie, est une communauté planifiée en pleine croissance sur la rivière Feather, dans le comté de Yuba, à seulement 30 minutes au nord de Sacramento. La région offre des logements abordables, une agriculture florissante et de nombreuses possibilités de loisirs dans les contreforts de la Sierra, le Hard Rock Hotel & Casino et le Toyota Amphiteatre, entre autres.
Faits sur la propriété
| Superficie totale disponible | 1,30 AC | Sous-type de propriété | Terrain commercial |
| Type de propriété | Terrain | Utilisation proposée | Station de service |
| Superficie totale disponible | 1,30 AC |
| Type de propriété | Terrain |
| Sous-type de propriété | Terrain commercial |
| Utilisation proposée | Station de service |
1 1
1 de 3
Vidéos
Visite extérieure 3D Matterport
Visite 3D Matterport
Photos
Vue depuis la rue
Rue
Carte
1 de 1
Présenté par
NEC Feather River Blvd & Chalice Creek Rd
Vous êtes déjà membre? Connectez-vous
Hmm, il semble y avoir eu une erreur lors de l’envoi de votre message. Veuillez réessayer.
Merci! Votre message a été envoyé.
