Se Connecter/S’inscrire
Votre courriel a été envoyé.
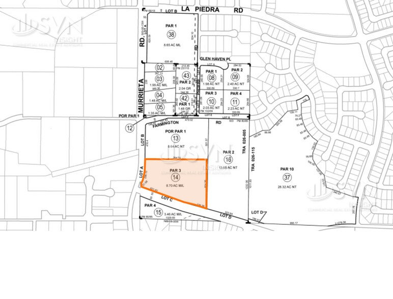
NEC Murrieta Road - NEC Murrieta Road Lot • Terrain commercial • 8,7 Acres • 1 720 663 $ CAD • Menifee, CA 92584



Certaines informations ont été traduites automatiquement.
Faits saillants de l'investissement
- Passe viaduc Holland à l'autoroute I-215
- Peut être rezoné pour le secteur résidentiel
- La ville de Menifee affiche un taux de croissance rapide
Résumé de l'annonce
La désignation de zonage des installations publiques (PF) offre un large éventail d'utilisations permises visant à desservir la collectivité. Les 8,70 acres de terrain des chemins NEC Murrieta et Holland à Menifee, en Californie, peuvent être utilisés à diverses fins publiques et institutionnelles, y compris, mais sans s'y limiter, des établissements religieux, des établissements d'enseignement, des services gouvernementaux et publics, des établissements de soins de santé et des installations récréatives.
Disponible sur demande auprès du courtier :
- Approbation PC avec COC
- Correspondance de la Ville de Menifee
- Calculs structuraux
- Rapport WQMP
- Plans complets du site avec arc
- Plans de classement
L'utilisation future optimale comprend la modification du plan général ou du code de zonage (GP/ZC) au RA-1 (1 acre résidentiel), créant ainsi un potentiel de développement résidentiel. Le zonage RA-1 proposé permettrait la création de 4 lots spacieux, avec une parcelle restante supplémentaire, ce qui donnerait un total de 5 emplacements résidentiels haut de gamme. Tous les lots seront accessibles au moyen d'une servitude privée seulement, ce qui garantira la confidentialité et l'exclusivité.
Le processus de changement de zonage devrait prendre environ un an et demi.
Disponible sur demande auprès du courtier :
- Approbation PC avec COC
- Correspondance de la Ville de Menifee
- Calculs structuraux
- Rapport WQMP
- Plans complets du site avec arc
- Plans de classement
L'utilisation future optimale comprend la modification du plan général ou du code de zonage (GP/ZC) au RA-1 (1 acre résidentiel), créant ainsi un potentiel de développement résidentiel. Le zonage RA-1 proposé permettrait la création de 4 lots spacieux, avec une parcelle restante supplémentaire, ce qui donnerait un total de 5 emplacements résidentiels haut de gamme. Tous les lots seront accessibles au moyen d'une servitude privée seulement, ce qui garantira la confidentialité et l'exclusivité.
Le processus de changement de zonage devrait prendre environ un an et demi.
Faits sur la propriété
1 Lot disponible
Lot
| Prix | 1 720 663 $ CAD | Taille du lot | 8,70 AC |
| Prix par AC | 197 777,31 $ CAD |
| Prix | 1 720 663 $ CAD |
| Prix par AC | 197 777,31 $ CAD |
| Taille du lot | 8,70 AC |
Accès facile depuis les principales routes et autoroutes Façades au niveau de la rue
Description
Situé dans la ville de Menifee, en Californie, avec un taux de croissance rapide Le nouveau viaduc Holland sur l'autoroute I-215 est presque terminé, idéal pour la circulation transcommunautaire
1 1
Plutôt praticable à pied
30/100
Exceptionnellement facile d’accès en voiture
100/100
Plutôt praticable en vélo
40/100
Impôts fonciers
| Numéro de lot | 360-040-014 | Évaluation des bâtiments | 0 $ CAD |
| Évaluation du terrain | 548 240 $ CAD | Évaluation totale | 548 240 $ CAD |
Impôts fonciers
Numéro de lot
360-040-014
Évaluation du terrain
548 240 $ CAD
Évaluation des bâtiments
0 $ CAD
Évaluation totale
548 240 $ CAD
1 de 7
Vidéos
Visite extérieure 3D Matterport
Visite 3D Matterport
Photos
Vue depuis la rue
Rue
Carte
1 de 1
Présenté par
NEC Murrieta Road - NEC Murrieta Road
Vous êtes déjà membre? Connectez-vous
Hmm, il semble y avoir eu une erreur lors de l’envoi de votre message. Veuillez réessayer.
Merci! Votre message a été envoyé.
