Se Connecter/S’inscrire
Votre courriel a été envoyé.
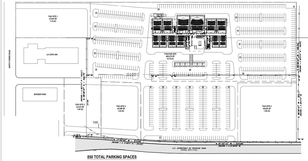
NEQ Tower Rd & Interstate 2 - Cinemark Theater Pad Sites Lots • Terrain commercial • 1-1,6 Acre • 1 459 150 $-2 140 086 $ CAD par lot • Alamo, TX 78516



Certaines informations ont été traduites automatiquement.
FAITS SAILLANTS DE L'INVESTISSEMENT
- Excellent emplacement
- Nombre de trafic : chemin Tour N - 10 349 (2020)
- Nombre de trafic : I-2 - 106 127 (2020)
- Nombre de trafic : chemin Tour S - 11 943 (2020)
RÉSUMÉ DE L'ANNONCE
Emplacements de pavés disponibles sur les 12 salles de cinéma proposées par Cinemark qui seront construites à Alamo, au Texas, au NEQ de Tower Rd et de l'Interstate 2. À la recherche de QSR et de restaurants assis.
TAXES ET DÉPENSES D’EXPLOITATION (RÉEL - 2025) Cliquez ici pour accéder à |
ANNUEL (CAD) | ANNUEL PAR AC (CAD) |
|---|---|---|
| Taxes |
-
|
-
|
| Dépenses d’exploitation |
-
|
-
|
| Total des dépenses |
$99,999
|
$9.99
|
TAXES ET DÉPENSES D’EXPLOITATION (RÉEL - 2025) Cliquez ici pour accéder à
| Taxes (CAD) | |
|---|---|
| Annuel | - |
| Annuel par AC | - |
| Dépenses d’exploitation (CAD) | |
|---|---|
| Annuel | - |
| Annuel par AC | - |
| Total des dépenses (CAD) | |
|---|---|
| Annuel | $99,999 |
| Annuel par AC | $9.99 |
FAITS SUR LA PROPRIÉTÉ
| Prix | 1 459 150 $ à 6 598 000 $ CAD | Sous-type de propriété | Terrain commercial |
| Type de vente | Propriétaire utilisateur | Utilisation proposée | Commercial |
| Nombre de lots | 4 | Taille totale du lot | 4,86 AC |
| Type de propriété | Terrain |
| Prix | 1 459 150 $ à 6 598 000 $ CAD |
| Type de vente | Propriétaire utilisateur |
| Nombre de lots | 4 |
| Type de propriété | Terrain |
| Sous-type de propriété | Terrain commercial |
| Utilisation proposée | Commercial |
| Taille totale du lot | 4,86 AC |
4 LOTS DISPONIBLES
Lot 1
| Prix | 1 495 840 $ CAD | Taille du lot | 1,23 AC |
| Prix par AC | 1 216 130,08 $ CAD |
| Prix | 1 495 840 $ CAD |
| Prix par AC | 1 216 130,08 $ CAD |
| Taille du lot | 1,23 AC |
Lot 2
| Prix | 1 459 150 $ CAD | Taille du lot | 1,00 AC |
| Prix par AC | 1 459 149,63 $ CAD |
| Prix | 1 459 150 $ CAD |
| Prix par AC | 1 459 149,63 $ CAD |
| Taille du lot | 1,00 AC |
Lot 3
| Prix | 1 502 924 $ CAD | Taille du lot | 1,03 AC |
| Prix par AC | 1 459 149,79 $ CAD |
| Prix | 1 502 924 $ CAD |
| Prix par AC | 1 459 149,79 $ CAD |
| Taille du lot | 1,03 AC |
Lot 4
| Prix | 2 140 086 $ CAD | Taille du lot | 1,60 AC |
| Prix par AC | 1 337 554,00 $ CAD |
| Prix | 2 140 086 $ CAD |
| Prix par AC | 1 337 554,00 $ CAD |
| Taille du lot | 1,60 AC |
DESCRIPTION
Situé au NEQ de Tower Rd et de l'Interstate 2.
1 1
1 de 4
VIDÉOS
VISITE EXTÉRIEURE 3D MATTERPORT
VISITE 3D MATTERPORT
PHOTOS
VUE DEPUIS LA RUE
RUE
CARTE
1 de 1
Présenté par
NEQ Tower Rd & Interstate 2 - Cinemark Theater Pad Sites
Vous êtes déjà membre? Connectez-vous
Hmm, il semble y avoir eu une erreur lors de l’envoi de votre message. Veuillez réessayer.
Merci! Votre message a été envoyé.
