Se Connecter/S’inscrire
Votre courriel a été envoyé.
Certaines informations ont été traduites automatiquement.
Faits saillants de l'investissement
- Occasion exceptionnelle d'emplacement de pavé situé juste en face du nouveau centre commercial Walmart Foster Road.
Résumé de l'annonce
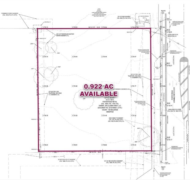
Occasion exceptionnelle d'emplacement de pavé situé juste en face du nouveau centre commercial Foster Road Walmart. Le centre commercial Walmart de Foster Road est un projet de 34 acres qui a récemment ouvert ses portes. Le nouveau centre dessert le quartier résidentiel en plein essor de Foster Road et un fort Sam Houston agrandi. Le propriétaire est flexible et vendra, louera ou peut-être construira sur mesure.
Faits sur la propriété
| Type de vente | Investissement | Sous-type de propriété | Terrain commercial |
| Nombre de lots | 1 | Utilisation proposée | Commercial |
| Type de propriété | Terrain | Taille totale du lot | 0,92 AC |
| Zonage | C-3NA - District commercial, ventes de boissons non alcoolisées | ||
| Type de vente | Investissement |
| Nombre de lots | 1 |
| Type de propriété | Terrain |
| Sous-type de propriété | Terrain commercial |
| Utilisation proposée | Commercial |
| Taille totale du lot | 0,92 AC |
| Zonage | C-3NA - District commercial, ventes de boissons non alcoolisées |
1 Lot disponible
Lot
| Taille du lot | 0,92 AC |
| Taille du lot | 0,92 AC |
Assez praticable à pied
50/100
Exceptionnellement facile d’accès en voiture
100/100
Transports en commun limités
30/100
Plutôt praticable en vélo
40/100
1 de 6
Vidéos
Visite extérieure 3D Matterport
Visite 3D Matterport
Photos
Vue depuis la rue
Rue
Carte
Présenté par
NWC Binz-Engleman& Foster Rd
Vous êtes déjà membre? Connectez-vous
Hmm, il semble y avoir eu une erreur lors de l’envoi de votre message. Veuillez réessayer.
Merci! Votre message a été envoyé.




